Вермикулярний графіт
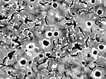
Вермикуля́рний графі́т (лат. vermiculus — черв'ячок) — мікроструктурна складова чавуну, особливий вид графіту з відношенням довжини включень до їх товщини в межах від 2 до 10, який має в площині шліфа червоподібну (гусеницеподібну, личинкоподібну) форму[1].


Чавун з такою формою графіту носить назву чавуну з вермикулярним графітом (ЧВГ). Вермикулярний графіт має вигляд коротких потовщених пластин із закругленими краями. Чавун з вермикулярним графітом[2] є новим типом чавуну, за ливарними властивостями він близький до сірого чавуну. Використання чавуну з вермикулярним формою графіту як самостійного конструкційного матеріалу було запропоноване в середині 1950-х років, а сама назва «чавун з вермикулярним графітом» вперше зустрічається у Р. Шелленга (R. D. Schelleng)[3].
Червоподібна форма вермикулярного графіту спричиняється обробкою розплаву чавуну активними модифікаторами: Mg, Ca, Ce та ін. і умовами кристалізації. Заокруглена форма вермикулярного графіту у меншій мірі знеміцнює металічну матрицю у порівнянні з пластинчастим графітом сірих чавунів.
Див. також
Примітки
- ДСТУ 2891-94 Чавун для виливків. Терміни та визначення.
- ГОСТ 28394-89 Чугун с вермикулярным графитом для отливок. Марки.
- Compacted Graphite Iron. Архів оригіналу за 22 липня 2013. Процитовано 8 липня 2012.
Джерела
- Чугун. Справочник. / Под редакцией А. Д. Шермана и А. А. Жукова, М. «Металлургия», 1991.
- Тодоров Р. П., Пешев П. Ц. Дефекты в отливках из чёрных металлов, М.: «Машиностроение» 1984.
- Ефименко Г. Г., Гиммельфарб А. А., Левченко В. Е. Металлургия чугуна. - 2-е изд. – К. : Вища школа, 1974. – 488 с.