Вусач-меґоп
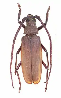
Вусач-меґоп (Megopis, Audinet-Serville, 1832 = Aegosoma Audinet-Serville, 1832 = Pachypleura White, 1853) — рід жуків з родини Вусачів. В Українських Карпатах поширений лише один вид — Вусач-меґоп зерновусий (Megopis scabricornis Scopoli, 1763).
? Вусач-меґоп | ||||||||||||
|---|---|---|---|---|---|---|---|---|---|---|---|---|
![]() Megopis scabricornis Scopoli, 1763 | ||||||||||||
| Біологічна класифікація | ||||||||||||
| ||||||||||||
Посилання | ||||||||||||
| ||||||||||||
Література
- Загайкевич І. К. Таксономия и экология усачей. — К.: Наукова Думка, 1991. — 420 с.
- (рос.) Бартенев А. Ф. Обзор видов жуков-усачей (Coleoptera: Cerambycidae) фауны Украины // Вісті Харківського ентомологічного товариства. — 2003 (2004). — 11, № 1-2. — с. 24-43.
Посилання
- http://www.biolib.cz/en/taxon/id369164/
- http://www.cerambyx.uochb.cz/megopis.htm
- http://www.cerambycoidea.com/specie2.asp?Id=17&Idspec=17004&Tipo=S
This article is issued from Wikipedia. The text is licensed under Creative Commons - Attribution - Sharealike. Additional terms may apply for the media files.
