Кам'яні споруди Блафф-Поїнт
Кам'яні споруди Блафф-Пойнт (англ. The Bluff Point Stoneworks) — доісторичні кам'яні споруди, виявлені в XIX столітті біля озера Кьюка (англ. Keuka Lake) в регіоні Фінгер-Лейкс на заході штату Нью-Йорк, в 6 км на південь від Кьюка-парку. Незважаючи на популярність, яку ці споруди отримали серед істориків, власник землі Хауланд Хемпгілл (англ. Howland Hemphill) знищив їх в 1876 році, щоб розчистити місце для будівництва власного дому. Питання про їх творців досі залишається невирішеним, частково тому, що більшість осіб, що отримали доступ до пам'ятника і залишили його описи, не були професіоналами ні в історії, ні в археології.
| Кам'яні споруди Блафф-Поїнт | |
|---|---|
| 42°33′45″ пн. ш. 77°07′27″ зх. д. | |
| Країна |
|
| Розташування | штат Нью-Йорк |
| Тип | Первісне мистецтво |
![]() Кам'яні споруди Блафф-Поїнт Кам'яні споруди Блафф-Поїнт (США) | |
| |

У 1980 р. деякі фрагменти споруд були все ще видні здалека. До 1985 р. залишки споруджень поросли виноградниками, через них були прокладені дороги і інші споруди[1]. Підземна частина споруд все ще частково збереглася. Подібні споруди, що відносно добре збереглися, виявлені в Оулі-Гіллз, штат Пенсільванія.
Деякі описи
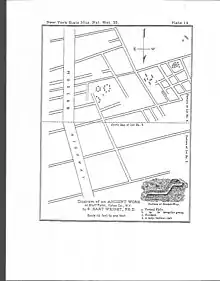
С. Харт Райт (англ. S. Hart Wright) описав кам'яні споруди у тому вигляді, у якому він їх застав в 1879 і 1880 рр.[2].

Споруди займали площу трохи менше 3 га. Райт відмітив «ступінчасту доріжку» шириною від 1 до 3 м і заввишки близько 30 см Далі він відмітив, що «прямолінійні ділення. виконані з майже математичною точністю, і показують здібності, які навряд чи можна приписати червоношкірим». Пізніше він припустив, що за віком споруда може належати до епохи будівельників курганів (чия етнічна приналежність в ту пору ще була предметом дискусій). Підбиваючи підсумки, Харт Райт відмітив, що кам'яні споруди були «одними з найбільш дивних споруд в штаті. Я не бачив нічого подібного в яких-небудь роботах по археології».
Девід Келлі і Вірджинія Гіббс (англ. David B. Kelley and Virginia Gibbs) в статті для японської газети «Хамацу» 9 квітня 1991 р. привели опис споруд у Блафф-Пойнт.
Оскільки зовнішня частина споруд майже повністю зникла до 1990-х років, Келлі і Гіббс узагальнили роботи попередніх дослідників. Цитуючи статтю С. Харта Райта 1879—1880 рр. вони також описують «сходинки. з бордюром у вигляді великих плоских кам'яних плит, що нахиляються до центру ступінчастої дороги; кімнати різного розміру; прямокутне ділення споруди на відсіки, причому довжина окремих відсіків досягає 150 м; вертикальні кам'яні плити, розташовані у вигляді кругів, квадратів і арок; а також кам'яний моноліт заввишки 2,5 м, і отвори, ймовірно, для опор даху».
Спроби збереження
До теперішнього часу Блафф-Пойнтські споруди (принаймні їх надземна частина) практично не збереглися. Деяка частина руїн може зберігатися під землею, проте розкопкам перешкоджають власники землі.
Берлін Харт Райт (англ. Berlin Hart Wright) в 1938 році писав: «Ми оглянули руїни, і у той час звернулися з найсерйознішим проханням до влади штату вжити заходи по збереженню руїн цієї унікальної споруди аборигенів. Проте нічого не було зроблено, і до теперішнього часу вона (споруда) втрачена».
Інші американські мегаліти
Ресурси Інтернету
- 100/68nov1993/68robinson.html Mysterious Ruin on Bluff Point[недоступне посилання з липня 2019] by David D. Robinson, Crooked Lake Review, November 1993
- 100/98may1996/98robinson.html More on the Bluff Point Ruin[недоступне посилання з липня 2019] by David D. Robinson, Crooked Lake Review, May 1996
- http://bluffpointruins.blogspot.com/
Примітки
- David D. Robinson. The Crooked Lake Review. 68, Nov. 1993, 17
- S. Hart Wright, «The Aboriginal work on Bluff Point, Yates County, New York»: 35th Annual Report of the New York State Museum of Natural History

