Постсинаптичне ущільнення
Постсинаптичне ущільнення, ПСУ (анг. Postsynaptic density, (PSD) ) — білковий комплекс, що являє собою потовщення біля постсинаптичної мембрани. Вперше ПСУ було виявлено за допомогою електронної мікроскопії у вигляді щільних ділянок поблизу мембрани постсинаптичного нейрона. Ці ділянки знаходяться безпосередньо біля пресинаптичних сайтів вивільнення нейромедіаторів. Зони ущільненості різноманітні за розміром та складом між різними областями мозку, але докладно вони були вивчені біля глутаматних синапсів.[1]

Структура
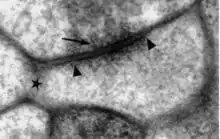
Постсинаптичні ущільненості мають розмір від 250 до 500 нанометрів в діаметрі і від 25 до 50 нанометрів в товщину в залежності від активності стану синапсу. Вони являють собою напівкруглі смужки з невизначеними кордонами. Ізольоване ПСУ має вигляд прямої щільної структури з ниткоподібних частинок і компонентів. Електронна мікроскопія показує взаємодію між постсинаптичною ущільненістю та органелами дендритів хребта через нитки актину.[2]
Функції
ПСУ слугує сигнальним апаратом. В постсинаптичній ущільненості були знайдені білки, які відповідають за організацію різних рецепторів, що переважно мають сигнальну функцію, таких як: іонні канали, кінази, фосфатази, сигнальні молекули в синапсі та ін. Наприклад, кінази та фосфатази в ПСУ активуються та вивільняються для зміни активності білків, розташованих у хребті, або транспортуються у ядро клітини, щоб впливати на синтез білка. Деякі особливості ПСУ аналогічні нервово-м’язовим з’єднанням, через те що ПСУ являє собою спеціалізований вузол, що дозволяє швидко передавати асиметричні сигнали. При зміні синаптичної сили у відповідь на нейронну активність постсинаптичне ущільнення сприяє обробці інформації і формування довготривалих спогадів.[3]
Компоненти
Багато білків в ущільненнях беруть участь у регуляції синаптичної функції, головними серед яких є: PSD-95, нейролігін, NMDA-рецептори, AMPA-рецептори, кальцій/кальмодулін-залежна протеїнкіназа II (CaMK II) та актин. Більш ніж кілька сот інших видів білків знаходяться в постсинаптичних ущільненнях між різними областями мозку та при різних станах синаптичної активності. ПСУ також містить молекули клітинної адгезії та різноманітний набір інших сигнальних білків.[4] Багато білків містять PDZ-домени, що являють собою білок-білкові взаємодії. Ці домени місять білки, які потрібні для зв’язування безліч типів синаптичних білків, у тому числі всі три класи іонотропних глутаматних рецепторів, щоб організувати і регулювати складні решітки білків у збуджених синапсах.[5]
Джерела
- Boeckers TM(July 2006)."The postsynaptic density".Cell Tissue Res 326:409-422. doi:10.1007/s00441-006-0273-5
- Kennedy MB (October 2000). "Signal-processing machines at the postsynaptic density". Science 290 (5492): 750–4. doi:10.1126/science.290.5492.750
- Ziff EB (December 1997). "Enlightening the postsynaptic density". Neuron 19 (6): 1163–1174. doi:10.1016/S0896-6273(00)80409-2
- Scannevin RH,'huganir RL (November 2000)."Postsynaptic organization and regulation of excitatory synapses".Neuroscience 1:133-141
- Kim Eunjoon, Sheng Morgan (October 2004)."PDZ domain proteins of synapses". Neuroscience 5:771-781