Тропічний циклон
Тропі́чний цикло́н — тип циклону або погодної системи низького тиску, що виникає над теплою морською поверхнею та супроводжується потужними грозами, випадінням зливових опадів і вітрами штормової сили. Тропічні циклони отримують енергію через підняття вологого повітря угору, конденсацію водяної пари у вигляді дощів та опускання сухішого повітря, що утворюється під час цього процесу, униз. Цей механізм принципово відрізняється від механізму позатропічних та полярних циклонів, на відміну від яких тропічні циклони класифікуються як «циклони з теплим ядром».

Загальний опис
Термін «тропічний» означає як географічний район, де в переважній більшості випадків виникають подібні циклони, тобто тропічні широти, та формування цих циклонів у тропічних повітряних масах. Залежно від сили та району, де існує циклон, тропічні циклони отримують назви «ураганів», «тайфунів», «тропічних штормів», «циклонних штормів», «тропічних депресій» або просто «циклонів».
Тропічні циклони здатні викликати не тільки надзвичайної сили зливи, але й великі хвилі на поверхні моря, штормові припливи і смерчі. Тропічні циклони можуть виникати та підтримувати свою силу лише над поверхнею великих водойм, тоді як над сушею вони швидко втрачають силу. Тому найбільшою мірою від них страждають прибережні райони та острови, тоді як райони у глибині материків перебувають у відносній безпеці. Однак викликані тропічними циклонами зливові дощі можуть викликати повені значних масштабів на відстані до 40 км від узбережжя. Хоча ефект тропічних циклонів на людину часто буває дуже негативним, значні кількості опадів можуть припиняти посухи. Тропічні циклони переносять велику кількість енергії від тропічних широт у напрямку до помірних, що робить їх важливою складовою глобальних процесів циркуляції атмосфери. Завдяки ним різниця у температурі на різних ділянках поверхні Землі зменшується, що дозволяє існування помірнішого клімату на всій поверхні планети.
Багато тропічних циклонів утворюються за сприятливих умов із слабких атмосферних збурень, на виникнення яких впливають такі ефекти як осциляція Маддена-Джуліана, Ель-Ніньйо й північноатлантична осциляція. Інші циклони, зокрема субтропічні, здатні набувати характеристик тропічних циклонів із розвитком. Після утворення, тропічні циклони рухаються під дією переважних вітрів; якщо умови залишаються сприятливими, циклон набирає силу та утворює характерну вихрову структуру із оком у центрі. Якщо ж умови несприятливі, або якщо циклон зсувається на сушу, він досить швидко розсіюється.
Структура

Тропічні циклони — відносно компактні шторми досить правильної форми, зазвичай близько 320 км в діаметрі, із вітрами, що дмуть по спіралі, що закручується навколо центральної ділянки дуже низького атмосферного тиску. За рахунок сили Коріоліса, вітри відхиляються від напрямку баричного градієнту й закручуються проти годинникової стрілки в Північній півкулі та за годинниковою стрілкою — у Південній.
За структурою тропічний циклон може бути поділено на три концентричні частини. Зовнішня частина має внутрішній радіус 30-50 км, у цій зоні швидкість вітрів рівномірно збільшується у міру наближення до центру циклону. Середня частина, що має назву стіни ока, характеризується найбільшими швидкостями вітру. Центральна частина діаметром 30-60 км має назву ока, тут швидкість вітру зменшується, рух повітря має переважно низхідний характер, а небо часто залишається ясним[2].
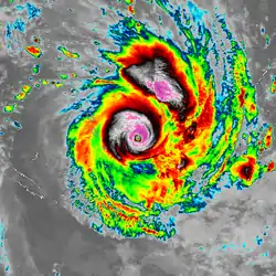
Око

Центральна частина циклону, в якій повітря опускається вниз, має назву ока. Якщо циклон досить сильний, око велике й характеризується спокійною погодою та ясним небом, хоча хвилі на морі можуть бути дуже великими[3]. Око тропічного циклону зазвичай правильної круглої форми, а його розмір може бути від 3 до 370 км у діаметрі[4][5], найтиповішим значеннями його діаметра є 30-60 км[2]. Око великих зрілих тропічних циклонів інколи помітно розширюється вгорі, це явище отримало назву «ефекту стадіону», через те, що, коли спостерігати зсередини ока, його стіна нагадує за формою трибуни стадіону[6].
Око тропічних циклонів характеризується дуже низьким атмосферним тиском, саме тут було зареєстровано найнижче значення атмосферного тиску на рівні земної поверхні (870 гПа у тайфуні Тіп)[7]. Крім того, на відміну від циклонів інших типів, повітря ока тропічних циклонів дуже тепле, завжди тепліше, ніж на тій же висоті за межами циклону[8].
Око слабших тропічних циклонів може бути частково або повністю вкрите хмарами, що мають назву центрального щільного хмарного покриву[9]. Ця зона, на відміну від ока сильніших циклонів, характеризується значною грозовою активністю[10].
Стіна ока
Стіною ока називають кільце щільних грозових хмар, що оточує око. Тут хмари досягають найбільшої висоти в межах циклону (до 15 км над рівнем моря), а опади та вітри біля поверхні найсильніші. Проте максимальна швидкість вітрів досягається на дещо більшій висоті, зазвичай близько 300 м[2]. Саме під час проходження стіни ока над певним районом, циклон завдає найбільших руйнувань[3].
Найсильніші циклони (зазвичай категорії 3 або більше) характеризуються кількома циклами зміни стіни ока протягом свого життя. При цьому стара стіна ока звужується до 10-25 км, а їй на заміну виникає нова, більшого діаметра, що поступово заміняє собою стару. Під час кожного циклу заміни стіни ока циклон слабшає (тобто вітри в межах стіни ока слабнуть, а температура ока зменшується), але із утворенням нової стіни ока він швидко набирає силу до попередніх значень[11].
Зовнішня зона
Зовнішня частина тропічного циклону організована у дощові смуги — смуги щільних грозових хмар, що повільно рухаються до центру циклону та зливаються зі стіною ока. У дощових смугах, як і в стіні ока, повітря піднімається угору, а у просторі між ними, вільному від низьких хмар, повітря опускається. Однак, сформовані на периферії циркуляційні комірки не такі глибокі, як центральна, і досягають меншої висоти.
| Розміри тропічних циклонів[12] | |
|---|---|
| ROCI | Тип |
| До 2 градусів широти | Дуже малий / карликовий |
| 2-3 градусів широти | Малий |
| 3-6 градусів широти | Середній |
| 6-8 градусів широти | Великий |
| Понад 8 градусів широти | Дуже великий |
![]() Порівняльні розміри тайфуну Тіп, циклону Трейсі і США | |
Коли циклон досягає суші, потоки повітря більшою мірою концентруються в межах стіни ока замість дощових смуг через збільшення тертя об поверхню. Значно збільшується кількість опадів, що може досягати 250 мм за добу[2].
Тропічні циклони також утворюють хмарний покрив на дуже великих висотах (біля тропопаузи) за рахунок відцентрового руху повітря на цій висоті[13]. Цей покрив складається з високих перистих хмар, що рухаються від центру циклону та поступово випаровуються й зникають. Ці хмари можуть бути досить тонкими, щоб через них можна було бачити Сонце та можуть бути однією з перших ознак наближення тропічного циклону[14].
Розміри
Одним з найбільш поширених визначень розміру циклону, що застосовується в різноманітних базах даних, є відстань від центру циркуляції до найбільш зовнішньої замкнутої ізобари, ця відстань має назву радіусу зовнішньої замкнутої ізобари (англ. radius of outermost closed isobar, ROCI). Якщо радіус менше двох градусів широти або 222 км, циклон класифікується як «дуже маленький» або «карликовий». Радіус від 3 до 6 градусів широти або від 333 до 667 км характеризує циклон «середніх розмірів». «Дуже великі» тропічні циклони мають радіус понад 8 градусів широти або 888 км[12]. За цією мірою, найбільші на Землі тропічні циклони виникають на північному заході Тихого океану, де вони приблизно вдвічі більші за тропічні циклони Атлантичного океану[15].
Іншими методами визначення розмірів тропічних циклонів є радіус, на якому існують вітри сили тропічного шторму (приблизно 17,2 м/с), та радіус, на якому відносний ротор швидкості вітру становить 1×10−5 с−1[16][17].
Механізм

Головним джерелом енергії тропічного циклону є енергія, що звільнюється під час конденсації водяної пари. Випаровування океанської води відбувається під дією сонячної радіації. Таким чином, тропічний циклон можна уявити як велику теплову машину, для роботи якої необхідні також обертання та тяжіння Землі[13]. У метеорології, тропічний циклон описується як тип конвекційної системи на мезошкалі, що розвивається за умовами наявності потужного джерела тепла та вологи.
Тепле вологе повітря піднімається угору переважно у межах стіни ока циклону, але також частково в межах інших дощових смуг. Це повітря розширюється та охолоджується з підняттям, в результаті його відносна вологість, висока вже біля поверхні, зростає, унаслідок чого велика частина збереженої вологи конденсується і випадає у вигляді дощу. Повітря продовжує охолоджуватися і втрачати вологу з підняттям до тропопаузи, де воно втрачає практично всю вологу та перестає охолоджуватися з висотою. Це повітря опускається униз до океанської поверхні, де знову прогрівається та зволожується. За сприятливих умов, вивільнена у цьому процесі енергія дещо перевищує її витрати, надлишкова енергія витрачається на збільшення об'ємів висхідних потоків, збільшення швидкості вітрів та прискорення процесу конденсації, тобто утворює позитивного зворотного зв'язку[19]. Для того, щоб умови залишалися сприятливими, тропічний циклон має перебувати над теплою океанською поверхнею, що надає необхідну вологу. Коли ж циклон проходить ділянку суші, він не має доступу до цього джерела енергії і його сила швидко спадає[20]. Обертання Землі додає до цього конвекційного процесу закручування циклону внаслідок ефекту Коріоліса — відхилення напрямку вітру від напрямку баричного градієнту[21][22][23].

Механізм тропічних циклонів істотно відрізняється від механізму інших атмосферних процесів тим, що вимагає глибокої конвекції, такої, що захоплює великий діапазон висот[24]. Висхідні потоки захоплюють майже всю відстань від поверхні океану до тропопаузи, із горизонтальними вітрами обмеженими переважно у приповерхневому шарі товщиною до 1 км[25], тоді як основна частина 15-кілометрової товщини тропосфери в тропічних районах використовується для конвекції. Однак тропосфера на вищих широтах тонша, а кількість сонячного тепла — менша, що обмежує зону сприятливих умов для тропічних циклонів тропічним поясом. На відміну від тропічних циклонів, позатропічні циклони отримують енергію переважно від горизонтальних градієнтів температури повітря, що існували до них[24].
Проходження тропічного циклону над ділянкою океану приводить до суттєвого охолодження припоперхневого шару, як через втрату тепла на випаровування, так і через активне перемішування теплих приповерхневих та холодніших глибоких шарів та отримання холоднішої дощової води. Також на охолодження впливає щільний хмарний покрив, що закриває океанську поверхню від сонячного світла. Унаслідок цих ефектів, за кілька днів, за які циклон проходить певну ділянку океану, припоперхнева температура на ній істотно падає. Цей ефект призводить до негативного зворотного зв'язку, що може привести до втрати сили тропічного циклону, якщо його рух повільний[26].
Загальна кількість енергії, що виділяється у тропічному циклоні середнього розміру, становить близько 50-200 екзаджоулів (1018 Дж) на день[19] або 1 ПВт (1015 Вт). Це приблизно у 70 разів більше за споживання всіх видів енергії людством, у 200 разів більше світового виробництва електроенергії й відповідає енергії, що звільнялася б від вибухів 10-мегатонних водневої бомби кожні 20 хвилин[19][27].
Життєвий цикл
Формування

У всіх районах світу, де існує активність тропічних циклонів, вона досягає максимуму наприкінці літа, коли різниця температур між океанською поверхнею та глибинними шарами найбільша. Однак, сезонні картини дещо відрізняються залежно від басейну. У світовому масштабі, травень є найменш активним місяцем, вересень найбільш активним, а листопад є єдиним місяцем, коли активні одночасно всі басейни[28].
Важливі фактори

Процес формування тропічних циклонів все ще не до кінця зрозумілий і є предметом інтенсивних досліджень[29]. Зазвичай можна виділити шість чинників, необхідних для утворення тропічних циклонів, хоча в окремих випадках циклон може утворитися й без деяких з них.
В більшості випадків, для формування тропічного циклону потрібна температура приповерхневого шару океанської води щонайменш 26,5 °C на глибині щонайменш до 50 м[30], така температура води є мінімально достатньою щоб викликати нестабільність в атмосфері над нею та підтримати існування грозової системи[31].
Іншим необхідним чинником є швидке охолодження повітря з висотою, що дозволяє вивільнення енергії конденсації, головного джерела енергії тропічного циклону[30].
Також для утворення тропічного циклону необхідна висока вологість повітря у нижніх та середніх шарах тропосфери; за умови великої кількості вологи у повітрі умови сприятливіші для утворення нестабільності[30].
Ще одною характеристикою сприятливих умов є низький вертикальний градієнт вітру, оскільки великий градієнт вітру приводить до розриву циркуляційної картини циклону[30].
Тропічні циклони зазвичай виникають на відстані щонайменше 550 км або 5 градусів широти від екватору, лише там ефект Коріоліса досить сильний для відхилення вітру й закручування вихру[30].
І нарешті, для утворення тропічного циклону зазвичай потрібна вже існуюча зона низького тиску або заворушень погоди, хоча б і без циркуляційної поведінки, характерної для зрілого тропічного циклону[30]. Такі умови можуть бути створені низькорівневими та низькоширотними спалахами, що асоціюються з осціляцією Маддена-Джуліана[32].
Райони формування
Більшість тропічних циклонів у світі формуються в межах Екваторіальної конвергентної зони (міжтропічного фронту) або її продовження під дією мусонів — мусонної зони низького тиску[33][34][35]. Райони, сприятливі для формування тропічних циклонів, також виникають в межах тропічних хвиль, де виникає близько 85 % інтенсивних циклонів Атлантичного океану та більшість тропічних циклонів на сході Тихого океану[36][37][38].
Переважна більшість тропічних циклонів формується між 10 і 30 градусами широти обох півкуль, причому 87 % усіх тропічних циклонів — не далі 20 градусів від екватору[39][40]. Через відсутність ефекту Коріоліса в екваторіальній зоні, тропічні циклони дуже рідко формуються ближче 5 градусів від екватору[39], однак це все ж таки трапляється, наприклад з тропічним штормом Вамей 2001 року і циклоном Аґні 2004 року[41][42].
Час формування
Сезон тропічних циклонів на півночі Атлантичного океану триває з 1 червня по 30 листопада, досягаючи піку наприкінці серпня та у вересні[28]. За статистикою, більшість тропічних циклонів утворилися тут в районі 10 вересня. На північному сході Тихого океану цей сезон триває довше, але з максимумом у ті ж часи[43]. На північному заході Тихого океану тропічні циклону утворюються протягом всього року, з мінімумом в лютому-березні та з максимумом на початку вересня. На півночі Індійського океану тропічні циклони найчастіші з квітня по грудень, з двома піками — у травні та в листопаді[28]. У Південній півкулі, сезон тропічних циклонів починається з 1 листопада й триває до кінця квітня, з піком з середини лютого до початку березня[28][44].
| Сезони тропічних циклонів та їх активність[28][45] | |||||
|---|---|---|---|---|---|
| Басейн | Початок сезону | Кінець сезону | Тропічних штормів (>34 вузлів) | Ураганів (>63 вузлів) | ТЦ категорії 3+ (>95 вузлів) |
| Пн.-зх. тихоокеанський | квітень | січень | 26,7 | 16,9 | 8,5 |
| Пд. індійськоокеанський | листопад | квітень | 20,6 | 10,3 | 4,3 |
| Пн.-сх. тихоокеанський | травень | листопад | 16,3 | 9,0 | 4,1 |
| Пн. атлантичний | червень | листопад | 10,6 | 5,9 | 2,0 |
| Пд. тихоокеанський | листопад | квітень | 9 | 4,8 | 1,9 |
| Пн. індійськоокеанський | квітень | грудень | 5,4 | 2,2 | 0,4 |
Взаємодія з пасатами
Рух тропічних циклонів уздовж поверхні Землі залежить перш за все від переважних вітрів, що виникають унаслідок глобальних циркуляційних процесів, тропічні циклони захоплюються цими вітрами й рухаються разом з ними[46]. У зоні виникнення тропічних циклонів, тобто між 20 паралелями обох півкуль, вони рухаються на захід під дією східних вітрів — пасатів.
У тропічних районах північної частини Атлантичного океану і на північному сході Тихого океану пасати утворюють тропічні хвилі, що починаються від африканського узбережжя, проходять через Карибське море, Північну Америку та стихають у центральних районах Тихого океану[37]. Ці хвилі є місцем виникнення великої частини тропічних циклонів цих регіонів[36].
Ефект Коріоліса

Унаслідок ефекту Коріоліса, обертання Землі не тільки викликає закручування тропічних циклонів, а й впливає на відхилення їх руху. Через цій ефект, тропічний циклон, що рухається на захід під дією пасатів за відсутності інших сильних повітряних потоків, відхилятиметься до полюсів[47]. Оскільки східні вітри додаються до циклонного руху повітря на його полярному боці, сила Коріоліса там сильніша, в результаті тропічний циклон відтягується до полюсу. Коли тропічний циклон досягає субтропічного хребта, західні вітри помірного поясу починають зменшувати швидкість руху повітря на полярному боці, але різниця у відстані від екватору між різними частинами циклону достатньо велика, щоб сумарна сила Коріоліса була спрямована до полюсу. В результаті, тропічні циклони Північної півкулі відхиляються на північ (до повороту на схід), а тропічні циклони Південної — на південь (також до повороту на схід)[22].
Взаємодія із західними вітрами помірних широт

Коли тропічний циклон перетинає субтропічний хребет, що є зоною високого тиску, його шлях зазвичай відхиляється до зони нижчого тиску з полярного боку хребта. Потрапивши до зони західних вітрів помірного поясу, тропічний циклон має тенденцію рухатися з ними на схід, проходячи через момент зміни курсу (recurvature)[48]. Тайфуни, що рухаються через Тихий океан на захід до берегів Азії, часто змінюють курс біля берегів Японії на північний, а потім — на північно-східний, захоплені південно-західними вітрами з Китаю або Сибіру. Багато тропічних циклонів також відхиляються через взаємодію з позатропічними циклонами, що рухаються у цих районах із заходу на схід. Прикладом зміни курсу тропічним циклоном є тайфун Іоке 2006 року (на зображенні), що рухався за описаною траєкторією[49].
Вихід на сушу
Формально вважається, що циклон проходить над сушею, якщо це трапляється з його центром циркуляції, незалежно від стану периферійних ділянок[50]. Штормові умови зазвичай починаються над певною ділянкою суші за кілька годин до виходу на сушу центру циклону. У цей період, тобто до формального виходу тропічного циклону на сушу, може бути досягнуто найсильніших вітрів — в такому випадку кажуть про «прямий удар» тропічного циклону на берег[50]. Таким чином, момент виходу циклону на берег фактично означає середину штормового періоду для районів, де це трапляється. Заходів безпеки ж слід вживати до моменту досягнення вітрами певної швидкості або до моменту досягнення певної інтенсивності дощу, а не бути пов'язаними з моментом виходу тропічного циклону на сушу[50].
Взаємодія циклонів
Коли два циклони наближаються один до одного, їх центри циркуляції починають обертатися навколо спільного центру. Два циклони наближаються один до одного та врешті-решт зливаються. Якщо циклони різного розміру, більший домінуватиме у цій взаємодії, а менший обертатиметься навколо нього. Цей ефект має назву ефекту Фудзівари, на честь японського метеоролога Сакухеї Фудзівари[51].
Розсіювання

Тропічний циклон може втратити свої характеристики кількома шляхами. Один з цих шляхів — рух над сушею, що відрізає його від необхідного для живлення джерела теплої води, унаслідок цього тропічний циклон швидко втрачає силу[52]. Більшість сильних тропічних циклонів втрачають свою силу та перетворюються на неорганізовану зону низького тиску через день, інколи два дні, або ж перетворюються на позатропічні циклони. Інколи тропічний циклон може відновитися, якщо йому вдасться знов потрапити до теплих океанських вод, як це трапилося з ураганом Іван. Якщо тропічний циклон пройде над горами навіть на короткий час, його ослаблення істотно прискориться[53]. Багато жертв від тропічних циклонів трапляється саме у гірських районах, оскільки тропічний циклон, що швидко втрачає силу, вивільняє величезну кількість дощової води[54], що приводить до руйнівних повеней і зсувів, як це трапилося з ураганом Мітч 1998 року[55]. Крім того, тропічний циклон втрачатиме силу, якщо він залишатиметься занадто довго в одному районі, оскільки через інтенсивне випаровування та перемішування шару води товщиною до 60 м, припоперхнева температура може впасти на величину близько 5 °C[56], а без теплого приповерхневого шару води тропічний циклон не може вижити.
Тропічний циклон також може розсіятися, якщо він потрапить на ділянку моря, холоднішу за 26,5 °C. Такий тропічний циклон втратить свої тропічні характеристики (тобто грозове коло навколо центру і тепле ядро) і перетвориться на залишкову зону низького тиску, що може існувати протягом кількох днів. Цей механізм розсіювання є основним на північному сході Тихого океану[57].
Ослаблення або розсіювання тропічного циклону також може трапитися унаслідок сильного вертикального градієнту вітру, що зсуває вісь конвекційної теплової машини та порушує її роботу[58].
Унаслідок взаємодії з західними вітрами помірних широт та характерними для помірних районів атмосферними фронтами, тропічний циклон може перетворитися на позатропічний, подібна трансформація зазвичай триває 1-3 дні[59]. Позатропічні циклони зазвичай характеризуються вищим тиском усередині та слабшими вітрами[2]. Однак навіть якщо тропічний циклон «розсіявся» або перетворився на позатропічний, швидкість вітрів у ньому все ще може бути штормовою, а інколи навіть й ураганною, а кількість опадів може скласти понад 10 см. Дуже інтенсивні позатропічні циклони, утворені з тропічних, періодично загрожують західному узбережжю Північної Америки, а в окремих випадках — і Європі; прикладом таких штормів був ураган Айріс 1995 року[60].
Також тропічний циклон може злитися з іншою зоною низького тиску. Це збільшує цю зону низького тиску, хоча вона може вже не бути тропічним циклоном[58]. Дослідження 2000-тих років також привели до гіпотези, що до ослаблення й розсіювання тропічного циклону може призвести велика кількість пилу в атмосфері[61].
Ефект
За останні два століття тропічні циклони привели до загибелі 1,9 млн осіб у світі внаслідок свого прямого ефекту. Окрім прямого ефекту на житлові будинки й економічні об'єкти, тропічні циклони руйнують об'єкти інфраструктури, зокрема дороги, мости, лінії електропередач, чим завдають величезних економічних збитків ураженим районам[62][63]. Певний негативний ефект від тропічних циклонів проявляється вже в морі, оскільки вони викликають сильні хвилі, припиняють мореплавство та інколи приводять до корабельних аварій[64].
Вітер

Найпрямішим ефектом від тропічних циклонів на суші є штормові вітри, здатні знищувати автомобілі, будівлі, мости та інші штучні споруди. Час, протягом якого певне місце залишається під дією циклону, залежить як від розмірів циклону, так і від швидкості його руху, зазвичай цей час становить кілька годин. Найсильніші постійні вітри в межах циклону зазвичай локалізовані в центрі його передньої частини та для сильних тропічних циклонів перевищують 70 м/с. За час проходження тропічного циклону можуть бути пошкоджені або зруйновані навіть добре збудовані капітальні будівлі. Мінімальна швидкість вітру, за якої тропічний циклон вважається ураганом, становить близько 28 м/с, вітри такої сили утворюють тиск на вертикальну стіну у 718 Па, а все ще типові для ураганів вітри швидкістю 55 м/с — тиск у 3734 Па. Таким чином, будівлі з великою площею стін випробують під час проходження тропічного циклону дію величезної сили, особливо якщо їх стіни найбільшої площі орієнтовані перпендикулярно вітру[2].
Окрім сильних постійних вітрів, у момент виходу на сушу для тропічних циклонів також характерні особливо сильні локалізовані вітри та пориви вітру. Хоча тертя об поверхню землі зменшує швидкість вітру, воно значно збільшує турбулентність руху повітря, часто приводить до спуску швидших висотних повітряних потоків до поверхні. Інший механізм виникнення поривів в межах тропічного циклону подібний до механізму мікропоривів, характерних для нециклонних гріз. Вітер у межах таких поривів часто спрямований відмінно від вітру на навколишніх ділянках, але у разі складання обох, його швидкість може досягати близько 100 м/с[2].
Штормовий приплив

Найгіршим за кількістю жертв ефектом від тропічних циклонів історично був штормовий приплив, тобто підняття рівня моря під дією циклону, що у середньому приводить приблизно до 90 % жертв[65]. Штормовий приплив викликаний в першу чергу тертям повітря об поверхню води та може досягати понад 6 м, інколи затоплюючи великі прибережні території. Цей механізм нагону води особливо ефективний у дрібних затоках та гирлах річок. Наприклад, найбільший за кількістю жертв в історії Бхолійський циклон 1970 року привів до загибелі 300—500 тис. осіб у Східному Пакистані якраз через 9-метровий штормовий приплив і затоплення островів дрібної дельти Гангу. У циклонів Північної півкулі максимальний штормовий приплив трапляється у передньому правому секторі циклону, в Південній — у передньому лівому. До тертя вітру також додається збільшення рівня води під дією низького атмосферного тиску циклону, що піднімає цей рівень приблизно ще на 1 м. Якщо ж циклон виходить на сушу під час припливу, ці ефекти додаються один до одного, приводячи до найбільш руйнівних наслідків[2].
Смерчі
Широка вихрова картина тропічного циклону та виникнення сильного вертикального градієнту вітру унаслідок тертя об поверхню землі викликає смерчі. Смерчі також можуть виникати унаслідок мезовихрів стіни ока, структур тропічного циклону відносно невеликого масштабу, що утворюються після його виходу на сушу[66].
Зливи

Тропічні циклони завжди асоціюються із значними кількостями атмосферних опадів, в першу чергу в районі стіни ока та дощових смуг циклону. Зазвичай кількість опадів становить кілька сантиметрів на годину, із спалахами значно більшого рівня. Загальна кількість опадів у 500—1000 мм за час проходження циклону не є незвичайними. Такі кількості опадів дуже легко переповняють дощову каналізацію та приводять до повеней. Викликані дощами повені особливо небезпечні в гірських районах, як через збільшення кількості опадів через підняття повітря, так і, особливо, через концентрацію дощових потоків уздовж ярів та гирл річок, як це трапилося під час проходження ураганом Мітч території Гондурасу 1998 року.
Іншим джерелом зливових дощів, непов'язаним зі стіною ока, є випадіння води з хмар висотного покриву циклону, що трапляється у разі потрапляння цих хмар у зону низького тиску вищих широт. Наприклад, унаслідок такого ефекту, залишкам східнотихоокеанського урагану Октав вдалося потрапити до пустельних районів Аризони, де кількість опадів з три дні склала понад 200 мм, майже річну норму опадів для цих районів[2].
Значні зливи та штормові припливи часто приводять до виникнення ділянок стоячої води, що за умовами тропічного клімату веде як до розповсюдження інфекцій через контакт з водою, так і до збільшення кількості комарів, що також розносять хвороби. Хвороби також розповсюджуються у перенаселених таборах для біженців, що втратили житло внаслідок ураганів[62].
Підтримка теплового та гідрологічного балансу
Хоча тропічні циклони приводять до значних жертв та руйнувань, вони є важливими факторами в режимі опадів тих районів, де існують, оскільки приносять опади до районів, що інакше залишалися б посушливими[67]. Також тропічні циклони допомагають підтримувати тепловий баланс, зменшуючи градієнт у температурі та вологості між тропічними й субтропічними районами Землі. Штормові припливи та перемішування океанської води тропічними циклонами також важливі для підтримки морської флори й фауни. Навіть руйнування штучних споруд часто виявляється корисним, оскільки викликає відновлення та покращення районів, багато з яких економічно були дуже неблагополучними[68].
Дослідження та класифікація
Басейни та організації
- Основні статті: Басейни тропічних циклонів і Регіональні спеціалізовані метеорологічні центри.
![]() Басейни тропічних циклонів | |
| Басейн | Відповідальні організації |
|---|---|
| Північноатлантичний | Національний ураганний центр (США) |
| Північно-східний тихоокеанський | Національний ураганний центр (США) Центральнотихоокеанський ураганний центр (США) |
| Північно-західний тихоокеанський | Метеорологічне управління Японії |
| Північно- індійськоокеанський | Індійський метеорологічний департамент |
| Південно-західний індійськоокеанський | Метео-Франс |
| Південно-східний індійськоокеанський | Бюро метеорології† (Австралія) Індонезійське метеорологічне агентство† |
| Південно- тихоокеанський | Метеорологічна служба Фіджі Метеорологічна служба Нової Зеландії† Національна погодна служба Папуа-Нової Гвінеї† Бюро метеорології† (Австралія) |
| †: Центри попередження про тропічні циклони | |
Основні райони виникнення тропічних циклонів складають сім фактично відокремлених безперервних зон, які мають назву басейнів, їх список наведено у таблиці праворуч. Найактивнішим басейном є Західний північнотихоокеанський, де щороку виникає в середньому 25,7 тропічних циклонів сили тропічного шторму (більшість із 86 у світі). Найменш активним є Північний індійськоокеанський басейн, де щороку трапляється лише 4-6 тропічних циклонів[70].
За період спостережень було зареєстровано лише кілька випадків виникнення тропічних циклонів або подібних їм явищ в інших районах світового океану. Першим офіційно визнаним з них став циклон Катаріна, що утворився 26 березня 2004 року на півдні Атлантичного океану і пізніше вийшов на сушу в Бразилії з вітрами, еквівалентними 2 категорії за шкалою Саффіра-Сімпсона. Оскільки цей циклон сформувався у районі, де раніше ніколи не реєструвалося тропічних циклонів, бразильські метеорологічні агентства спочатку вважали його позатропічним, але згодом перекласифікували у тропічний[71].
Головні центри, що займаються спостереженням і попередженням про тропічні циклони є шість регіональних спеціалізованих метеорологічних центрів (англ. Regional Specialized Meteorological Centers, RSMC). Така роль покладена на ці організації Всесвітнею метеорологічною організацією. Вони відповідають за випуск офіційних попереджень, освітніх публікацій та порад щодо заходів підготовки у своїх районах відповідальності. На додаток до них існує також шість Центрів попередження про тропічні циклони (англ. Tropical Cyclone Warning Centers, TCWC), також призначених Всесвітньою метеорологічною організацією, але з нижчим статусом та меншими районами відповідальності[72].
Регіональні спеціалізовані метеорологічні центри і центри попередження про тропічні циклони, однак, є не єдиними організаціями, що поширюють інформацію про тропічні циклони. Так, Об'єднаний центр попередження про тайфуни (англ. Joint Typhoon Warning Center, JTWC) випускає поради щодо всіх басейнів, за винятком Північноатлантичного, для Уряду США[73]; Філіппінське управління атмосферних, геофізичних і астрономічних служб (англ. Philippine Atmospheric, Geophysical and Astronomical Services Administration, PAGASA) випускає поради і надає імена тропічним циклонам, що наближаються до Філіппін[74]; Канадський ураганний центр (англ. Canadian Hurricane Center, CHC) випускає поради щодо залишків ураганів, що можуть загрожувати Канаді[75].
Спостереження

Спостереження за тропічними циклонами є важким завданням, оскільки вони виникають над океаном, де рідко наявні метеорологічні станції, до того ж вони швидко розвиваються та рухаються. Спостереження за тропічним циклоном з поверхні Землі зазвичай можливе лише тоді, коли він проходить над островом або прибережним районом, інколи — з океанського судна. Зазвичай вимірювання реальніші на периферії циклону, де умови менш катастрофічні, але такі вимірювання не дозволяють оцінити реальну силу циклону. Тому під час проходження тропічного циклону сушею групи метеорологів часто вирушають до районів його ймовірного проходження з метою здійснення спостережень якнайближче до центру циклону[76].
В океані за тропічними циклонами спостерігають за допомогою метеорологічних супутників, здатних отримувати зображення у видимому та інфрачервоному діапазонах, зазвичай з інтервалами 15-30 хвилин. Коли циклон наближається до суші, за ним можна спостерігати за допомогою метеорологічних радарів. За допомогою радарів зручно отримувати інформацію про розташування циклону під час його виходу на сушу та інтенсивність практично у реальному часі, тобто кожні кілька хвилин[77].
Також вимірювання у реальному часі проводять за допомогою спеціально обладнаних літаків, що прямують до циклону. Зокрема, такі польоти регулярно проводять «мисливці за ураганами»[78] на літаках WC-130 Геркулес і WP-3D Оріон. Ці літаки залітають у циклон та отримують дані як безпосередньо, так і за допомогою скидних зондів, обладнаних GPS і датчиками температури, вологості й тиску, що проводять вимірювання між безпечною для польотів висотою та поверхнею океану. На початку 21 століття до цих методів був доданий Aerosonde — невеликий безпілотний літак, здатний отримувати метеорологічну інформацію на невеликих висотах, небезпечних для людини. Перше випробування цього приладу відбулося під час досліджень атлантичного тропічного шторму Офелія 2005 року[79].

Прогнозування
Оскільки на рух тропічного циклону впливають зони низького і високого тиску навколо нього, для прогнозування його шляху необхідно спрогнозувати динаміку розвитку цих зон протягом життя циклону. Для цього зазвичай використовують вимірювання швидкості та сили вітрів, усереднені на всій товщі тропосфери. Якщо градієнт вітру відносно великий, найкращі результати отримуються за допомогою значення швидкості вітру на рівні 700 мбар (на висоті близько 3000 м над рівнем моря). При цьому короткотривалі флуктуації вітру в межах циклону усереднюють[80]. Зараз для точнішого прогнозування шляху тропічних циклонів широко використовуються комп'ютерні симуляції. Поліпшення методів вимірювання разом із розумінням атмосферних процесів за останні десятиліття призвело до збільшення точності прогнозування шляху тропічних циклонів[81]. Однак точність прогнозування їх сили все ще залишається досить низькою[82], що приписують неповному розумінню чинників, які впливають на розвиток тропічних циклонів.
Класифікація за силою

Засновуючись на силі, тропічні циклони класифікують у три головні групи: тропічні депресії, тропічні шторми і найінтенсивніші циклони, назва яких варіює залежно від басейну (тобто «тайфун» на північному заході Тихого океану, «ураган» на північному сході Тихого і в Атлантичному океанах[50] та модифікації назв тропічних штормів за допомогою термінів «дуже жорстокий» або «інтенсивний» у решті басейнів). Якщо тропічний циклон потрапляє з одного басейну до іншого, його класифікація відповідно змінюється, наприклад ураган Іоке 2006 року перетворився на «тайфун Іоке» у момент переходу через міжнародну лінію зміни дат з північно-східного до північно-західного районів Тихого океану. Кожна з систем класифікації, звіт яких наведений в таблиці унизу розділу, використовує дещо відмінну термінологію і для підгруп кожної з цих категорій.
Тропічна депресія
«Тропічною депресією» називається організована циклонна система з чітко вираженою приповерхневою циркуляцією і максимальними постійними вітрами до 17 м/с (33 вузли). Така система не має ока і зазвичай не має спіральної організації потужніших тропічних циклонів[13]. Зазвичай тропічні депресії не отримують власних імен, винятком є тропічні депресії, що формують в зоні відповідальності Філіппін[83].
Тропічний шторм
«Тропічним штормом» називається організована циклонна система з чітко вираженою приповерхневою циркуляцією і максимальними постійними вітрами між 17 м/с (33 вузли) і 32 м/с (63 вузли). Зазвичай ці тропічні циклони розвивають виразну спіральну форму, хоча око часто все ще не утворюється. Починаючи з цього рівня, тропічні циклони отримують власні імена залежно від країни, в зоні відповідальності якої тропічний циклон досягає такої сили[13].
Найвищі категорії сили
Найвищою категорією класифікації тропічних циклонів є «ураган» або «тайфун» (частина класифікацій при цьому зберігають назви «циклонний шторм» або «тропічний циклон»), що характеризується постійними вітрами від 33 м/с (64 вузли)[13] (тайфуни з постійними вітрами понад 67 м/с або 130 вузлів також називаються «супертайфунами» Об'єднаним центром попередження про тайфуни[84]). Тропічний циклон такої сили зазвичай розвиває чітко виражене око в центрі циркуляції, яке можна побачити на супутникових знімках як відносно невелику круглу пляму, вільну від хмар. Стіна ока цих циклонів становить від 16 до 80 км завширшки і характеризується вітрами, що за оцінками можуть доходити приблизно до 85 м/с (165 вузлів)[85].
Слово «тайфун», що використовується зараз на північному заході Тихого океану, ймовірно походить від злиття схожих за вимовою слів кількох мов. Одне з них — грецьке слово Тифон (Τυφών, чудовисько, що асоціювалося з бурею), що потрапило до урду, перської, арабської як طوفان, ţūfān[86] та європейських мов, зокрема англійської[87]. Інше — китайське слово taifeng (toifung кантонською, 颱風 — «великий вітер») та пов'язане японське taifu (台風). Слово ж «ураган», що використовується в Атлантичному та на північному сході Тихого океанів, походить від імені майянського бога вітру Хуракана (Huracan або Jurakan), що пройшло через іспанську мову як huracán[88].
| Приблизне порівняння класифікацій тропічних циклонів[89][90] | |||||||||
|---|---|---|---|---|---|---|---|---|---|
| Шкала Бофорта | постійні вітри за 10 хв. | Пн. Індійський океан IMD | Пд.-зх. Індійський океан MF | Австралія BOM | Пд.-зх. Тихий океан FMS | Пн.-зх. Тихий океан JMA | Пн.-зх. Тихий океан JTWC | Пн.-сх. Тихий і Пн. Атлантичний океани NHC і CPHC | |
| вузлів | м/с | ||||||||
| 0-6 | <28 | 14,1 | Депресія | Троп. заворушення | Тропічне пониження | Тропічна депресія | Тропічна депресія | Тропічна депресія | Тропічна депресія |
| 7 | 28-29 | 14,1-15,1 | Глибока депресія | Депресія | |||||
| 30-33 | 15,1-17,2 | Тропічний шторм | Тропічний шторм | ||||||
| 8-9 | 34-47 | 17,2-24,4 | Циклонний шторм | Помірний тропічний шторм | Тропічний циклон (1) | Тропічний циклон (1) | Тропічний шторм | ||
| 10 | 48-55 | 24,4-28,6 | Жорстокий циклонний шторм | Жорстокий тропічний шторм | Тропічний циклон (2) | Тропічний циклон (2) | Жорстокий тропічний шторм | ||
| 11 | 56-63 | 28,6-32,7 | Тайфун | Ураган (1) | |||||
| 12 | 64-72 | 32,7-37,6 | Дуже жорстокий циклонний шторм | Тропічний циклон | Жорстокий тропічний циклон (3) | Жорстокий тропічний циклон (3) | Тайфун | ||
| 13 (12) | 73-85 | 37,6-44,0 | Ураган (2) | ||||||
| 14 (12) | 86-89 | 44,0-46,0 | Жорстокий тропічний циклон (4) | Жорстокий тропічний циклон (4) | Сильний ураган (3) | ||||
| 15 (12) | 90-99 | 46,0-51,5 | Інтенсивний тропічний циклон | ||||||
| 16 (12) | 100-106 | 51,5-54,8 | Сильний ураган (4) | ||||||
| 17 (12) | 107-114 | 54,8-58,9 | Жорстокий тропічний циклон (5) | Жорстокий тропічний циклон (5) | |||||
| 115-119 | 58,9-61,5 | Дуже інтенсивний тропічний циклон | Супертайфун | ||||||
| >120 | >61,5 | Суперциклонний шторм | Сильний ураган (5) | ||||||
Найменування
Для розрізнення багатьох тропічних циклонів, що можуть існувати одночасно та активно рухатися, ті з них, що досягають сили тропічного шторму, отримують власні назви[91]. У більшості випадків назва тропічного циклону залишається на весь час його існування, однак в особливих випадках їх перейменовують поки вони ще зберігають активність.
Назви тропічних циклонів беруть з офіційних списків, що складаються заздалегідь і відрізняються залежно від регіону. Ці списки складаються або комітетами Всесвітньої метеорологічної організації, або національними метеорологічними організаціями, що займаються спостереженням за тропічними циклонами. Назви найбільш руйнівних тропічних циклонів стають закріпленими та виводяться з обігу, а їм на заміну вводяться нові.
На додаток, у деяких країнах існує числова або кодова класифікація тропічних циклонів. Наприклад в Японії циклон має номер, під яким він з'явився протягом сезону, наприклад 台風第9号 — «тайфун номер 9».
Зміни активності з часом
Довготривалі тенденції
| Місце | Ім'я / назва | Сезон | Збитки |
|---|---|---|---|
| 1 | «Катріна» | 2005 | 125 млрд |
| «Харві» | 2017 | 125 млрд. | |
| 2 | «Марія» | 2017 | 91 млрд. |
| 3 | «Ірма» | 2017 | 78 млрд. |
| 4 | «Сенді» | 2012 | 69 млрд. |
| 5 | «Іда» | 2021 | 65 млрд. |
| 6 | «Айк» | 2008 | 38 млрд. |
| 7 | «Вільма» | 2005 | 28 млрд. |
| «Ендрю» | 1992 | 28 млрд. | |
| 8 | «Іван» | 2004 | 26 млрд. |
| 9 | «Майкл» | 2018 | 25 млрд. |
| 10 | «Флоренс» | 2018 | 24 млрд |
| Джерело: [92] | |||
Найбільш дослідженим басейном є Атлантичний, тому найбільша кількість наявних даних щодо активності тропічних циклонів у минулому стосується саме цього басейну. Щорічна кількість атлантичних тропічних штормів зросла з 1995 року, але ця тенденція не є глобальною: середня щорічна кількість тропічних циклонів залишається на рівні 87 ± 10. Однак глобальні висновки робити важко через відсутність історичних даних щодо деяких басейнів, особливо Південної півкулі[93]. Загалом немає впевненості щодо тенденції збільшення кількості тропічних циклонів. Одночасно, дані вказують на збільшення кількості ураганів найбільшої сили. Енергії, що виділяється типовим ураганом, зросла приблизно на 70 % за період з 1975 по 2005 роки, це зростання складається з 15 % збільшення максимальної швидкості вітру і 60 % — збільшення середньої тривалості життя тропічних циклонів[94]. Подібні ж дані було отримано в іншій роботі, що показала зниження загальної кількості тропічних циклонів у всіх басейнах (окрім Північноатлантичного) та одночасно істотне збільшення відносної та абсолютної кількості дуже сильних тропічних циклонів[95]. За іншими даними, швидкість вітру найсильніших тропічних циклонів збільшилися з 63 м/с (1981 року) до 70 м/с (2006 року).[96].
Іншою помітною тенденцією є збільшення фінансових збитків від тропічних циклонів, зокрема на Атлантичному океані, де п'ять з десяти найбільш руйнівних ураганів трапилися з 1990 року. Однак, за даними ВМО, ці зміни відбуваються переважно через збільшення населення та розвиток прибережних районів[97]. У минулому прибережні райони не мали великого населення за межами головних портів, зокрема, через загрозу ураганів. І лише із розвитком туризму наприкінці 20 століття щільність населення у прибережних районах значно збільшилася. Цей же висновок підтверджується відсутністю тенденції збільшення збитків від атлантичних ураганів за 1900—2005 роки у разі їх нормалізації на сукупний дохід населення прибережних районів[98]. При цьому не менш руйнівним був період 1970—1990 років, а найбільш руйнівними: період 1926—1935 років і період 1996—2005 років[99][100]. Рекордним же за кількістю тропічних штормів у цьому басейні був сезон 2005 року (28 тропічних штормів), за яким іде сезон 1933 року (21 тропічний шторм). Також активними були періоди початку 19 століття і період 1870—1899 років, але неактивними періоди 1840—1870 і 1900—1925 років[101].
У досупутникову еру частина ураганів залишалася непоміченою або їх сила — невідомою через відсутність зручних методів спостереження, що може частково пояснювати тенденцію щодо збільшення як кількості, так і сили тропічних циклонів[102]. Зокрема, до 1960 року тропічні циклони, що не досягали населених районів, могли бути поміченими випадково з літака або судна, але реєструвалися вони лише за умовами, що команда повідомляла про тропічний циклон після повернення[102] та могла відрізнити тропічний циклон від інших атмосферних явищ.

Також було запропоновано, що кількість і сила атлантичних ураганів може слідувати 50-70-річному циклу унаслідок Північноатлантичної осциляції. Зокрема, автори однієї роботи реконструювали сильні урагани з початку 18 століття і виявили п'ять періодів з 3-5 сильними ураганами на рік тривалістю по 40-60 років, розділених шістьма періодами з 1,5-2,5 сильними ураганами на рік тривалістю по 10-20 років[103].
Дані палеотемпестологічних досліджень (тобто реконструкції історії тропічних циклонів) вказують на коливання активності сильних ураганів в районі Мексиканської затоки з періодом порядку кількох століть або тисячоліть[104][105]. Зокрема, активність у період 3000-1400 років до н. е. та за останнє тисячоліття була нижчою за активність у період з 1400 року до н. е. до 1000 року н. е. приблизно у 3-5 разів. Ці коливання пояснюють довготривалими змінами у розташуванні Азорського антициклону[105], що у свою чергу впливає на силу Північноатлантичної осциляції[106]. За цією гіпотезою, існує негативний зв'язок між кількістю тропічних циклонів між Мексиканською затокою та атлантичним узбережжям США. У спокійні періоди, північносхідніше розташування Азорського антициклону приводить до збільшення кількості ураганів, які досягають Атлантичного узбережжя. у активніші періоди, більше ураганів досягає Мексиканської затоки. Ці коливання підтверджуються, зокрема, утворенням значно сухішого клімату на Гаїті близько 3200 років тому за даними 14C[107], зміною клімату Великих рівнин протягом пізнього Голоцену через збільшення кількості тропічних циклонів у долині річки Міссісіпі, і збільшенням вологості на мисі Кейп-Код в останні 500—1000 років.
Глобальне потепління
Через збільшення зареєстрованої кількості атлантичних тропічних циклонів та їх сили починаючи приблизно з 1995 року, висувалися припущення про зв'язок активності тропічних циклонів із глобальним потеплінням. Так, за даними досліджень Лабораторії геофізичної гідродинаміки NOAA на основі комп'ютерних симуляцій, протягом наступного століття можна очікувати збільшення сили найсильніших ураганів через нагрів земної атмосфери[108]. До такого ж висновку дійшли й члени Міжнародної експертної групи з питань зміни клімату в четвертій доповіді, опублікованій 2007 року, за даними якої ймовірність збільшення інтенсивності тропічних циклонів у 21 столітті є високою, причому ймовірним є й антропогенний вплив на цей процес[109]. За даними відомого метеоролога Керрі Емануеля 2005 року, «потенційна руйнівність ураганів» (приблизна міра їх загальної енергії) сильно залежить від приповерхневої температури моря, що збільшується, зокрема, унаслідок глобального потепління, і це збільшення триватиме в майбутньому[110]. Однак у роботах 2008 року він прогнозує зменшення очікуваної частоти тропічних циклонів[111][112].
Важливою проблемою у визначенні можливого ефекту глобального потепління на частоту і силу тропічних циклонів є невідповідність між збільшенням сили тропічних циклонів, яка спостерігається, і прогнозованої величини цього збільшення через підвищення температури[113]. Вважається визнаним, що досить високі температури морської поверхні є важливими для розвитку тропічних циклонів[114]. Проте, за даними комп'ютерного моделювання, потепління на 2 °C, яке спостерігається за останнє століття, мало б привести до збільшення сили тропічних циклонів на половину категорії або на 10 % за індексом потенційної руйнівності, тоді як збільшення індексу становить 75-120 %[110]; подібні висновки були отримані й іншими авторами[115].
За офіційним повідомленням Американського метеорологічного товариства від 1 лютого 2007 року, «спостереження за тропічними циклонами надають дані як у підтримку, так і проти наявності помітного антропогенного впливу в тропічному циклоногенезі»[116]. Хоча зв'язок між глобальним потеплінням і тропічними циклонами залишається суперечливим[117], загалом дослідники погоджуються, що міжсезонні варіації є значними, а тому рекорди будь-якого окремого тропічного циклону або сезону не можуть пояснити глобальним потеплінням[117][118].
Ель-Ніньйо
Більшість тропічних циклонів формується в районі екваторіальної конвергентної зони, після чого вони рухаються на захід у зоні пасатів, відхиляючись на північ, перетинають субтропічний хребет і, потрапляючи до зони західних вітрів помірного поясу, повертають на схід[119]. Однак розташування як екваторіальної конвергентної зони, так і субтропічного хребту залежить від Ель-Ніньйо, унаслідок чого від нього залежать й шляхи тропічних циклонів. Райони на захід від Японії і Кореї випробують набагато менше тропічних циклонів за сезон з вересня по листопад під час Ель-Ніньйо або у нейтральні роки. У роки Ель-Ніньйо прорив тропічних циклонів через субтропічний хребет відбувається близько 130° сх. д., в результаті тропічні циклони загрожують островам Японського архіпелагу або загалом не знаходять суші на своєму шляху[120]. В роки Ель-Ніньйо, ймовірність удару тропічного циклону по Гуаму становить лише третину від середньої за багато років[121]. Ефект Ель-Ніньйо проявляється навіть на Атлантичному океані, де активність тропічних циклонів знижується через збільшення градієнту вітру[122]. У роки Ла-Нінья, райони формування тропічних циклонів та місце їх повороту на північ зсуваються на захід зі зсувом субтропічного хребта, що збільшує ймовірність виходу тропічних циклонів на сушу в Китаї[120].
Сонячна активність
За даними деяких досліджень, на активність тропічних циклонів може впливати й сонячна активність. Невелика кількість сонячних плям викликає зниження температури верхніх шарів атмосфери, що приводить до нестабільності, сприятливої для формування тропічних циклонів. За результатами аналізу історичних даних було доведено, що ймовірність досягнення атлантичними тропічними циклонами узбережжя США збільшується з 25 % у роки максимальної сонячної активності до 64 % в роки мінімальної сонячної активності. Однак, теорія впливу сонячної активної станом на 2010 рік не є загальновизнаною і не використовується для передбачення тропічних циклонів[123].
Рекордні тропічні циклони

Рекордним за кількістю жертв тропічним циклоном є Бхолійський циклон 1970 року, що пройшов щільно населеною Дельтою Гангу і вбив від 300 тис. до 500 тис. осіб[124], а потенційне число прямих і непрямих жертв від цього циклону може сягати мільйона[125]. Це величезне число жертв стало наслідком викликаного циклоном штормового припливу[124]. Загалом Північний індійськоокеанський басейн історично був найгіршим за числом жертв[62][126], хоча і є найменш активним басейном. Рекордний для інших районів світу тропічний циклон, тайфун Ніна, вбив близько 100 тис. мешканців Китаю 1975 року внаслідок повені, що змила 62 дамби, включаючи дамбу Банджао[127]. Великий ураган 1780 року був рекордним за кількістю жертв у Північноатлантичному басейні, він вбив 22 тис. мешканців Малих Антильських островів[128], а Ґалвестонський ураган 1900 року із 6-12 тис. жертв був рекордним на території США[129]. Тропічний циклон може й не бути дуже сильним, аби викликати велику кількість жертв, особливо якщо жертви трапляються унаслідок повені або зсуву. Так, тропічний шторм Тельма 1991 року вбив кілька тисяч мешканців Філіппін[130], а неназвана тропічна депресія 1982 року (пізніше — ураган Пол) вбила близько 1000 мешканців Центрально Америки[131].
Найдорожчим у світі за абсолютними збитками тропічним циклоном є ураган Катріна 2005 року[132], що завдав прямих збитків через руйнування майна на 81,2 млрд доларів (за цінами 2008 року)[133] і загальних збитків на понад 100 млрд доларів (за цінами 2005 року)[132]; цей же ураган призвів до загибелі щонайменше 1836 осіб в Луїзіані й Міссісіпі[133]. Друге місце за збитками посідає ураган Ендрю, що завдав збитків на 40,7 млрд доларів США (за цінами 2008 року), третім був ураган Айк із збитками у 31,5 млрд доларів США (за цінами 2008 року).
.png.webp)
Найінтенсивнішим тропічним циклоном за всю історію спостережень був тайфун Тіп 1979 року на північному заході Тихого океану, що досяг мінімального атмосферного тиску у 870 гПа (653 мм рт. ст.) і максимальних постійних вітрів у 165 вузлів (85 м/с)[134]. Однак рекорд максимальних постійних вітрів цей тропічний циклон поділяє з трьома іншими: тайфуном Кейт 1997 року на північному заході Тихого океану й атлантичними ураганами Каміль і Аллен[135]. Каміль був єдиним тропічним циклоном за всю історію спостережень, що увійшов на сушу з вітрами такої сили, тобто постійними вітрами у 165 вузлів (85 м/с) і поривами у 183 вузли (94 м/с)[136]. Хоча зареєстрована швидкість вітру тайфуну Ненсі 1961 року складала 185 вузлів (95 м/с), пізніші дослідження довели, що вимірювання швидкості вітру у період його проходження були завищеними, тому ці значення більше не визнаються як рекордні[85]. Аналогічно, зареєстрована швидкість пориву вітру, викликаного тайфуном Пака на острові Гуам склала 205 вузлів (105 м/с), що було б другим значенням швидкості вітру біля поверхні за межами смерчу, але ці дані було відкинуто через пошкодження вітром анемометру[137].
Окрім рекорду за інтенсивністю, тайфун Тіп тримає рекорд за розміром, діаметр його вітрів сили тропічного шторму становить 2170 км. Найменшим тропічним циклоном сили тропічного шторму був тропічний шторм Марко 2008 року, що мав діаметр вітрів сили тропічного шторму лише 37 км[138]. Він відібрав рекорд найменшого тропічного циклону у циклону Трейсі 1974 року із діаметром вітрів сили тропічного шторму 48 км.
Ураганом з найбільшою тривалістю життя був ураган Джон 1994 року, що проіснував 31 день. Однак до появи у 1960-ті роки супутникових даних час життя більшості тропічних циклонів залишався недооціненим[139]. Джон також має найдовший шлях 13280 км серед всіх тропічних циклонів, для яких відомий цей показник[140].
23 жовтня 2015 року на штат Халіско(тихоокеанське узбережжя Мексики) обрушився Ураган Патрісія. Сила вітру всередині цього урагану на суші досягала 325 км/год, з окремими поривами до 400 км/год.
Див також
Посилання
- JetStream — Online School for Weather, National Weather Service
- Стаття «Tropical cyclone», Encyclopædia Britannica
- National Weather Service (19 жовтня 2005). Tropical Cyclone Structure. JetStream — An Online School for Weather. National Oceanic & Atmospheric Administration. Архів оригіналу за 22 червня 2012. Процитовано 7 травня 2009.
- Pasch, Richard J.; Eric S. Blake, Hugh D. Cobb III, and David P. Roberts (28 вересня 2006). Tropical Cyclone Report: Hurricane Wilma: 15–25 October 2005 (PDF). National Hurricane Center. Архів оригіналу за 22 червня 2012. Процитовано 14 грудня 2006.
- Lander, Mark A. (January 1999). A Tropical Cyclone with a Very Large Eye. Monthly Weather Review 127 (1): 137. doi:10.1175/1520-0493(1999)127<0137:ATCWAV>2.0.CO;2. Процитовано 14 грудня 2006.
- Pasch, Richard J. and Lixion A. Avila (May 1999). Atlantic Hurricane Season of 1996 (PDF). Monthly Weather Review 127 (5): 581–610. doi:10.1175/1520-0493(1999)127<0581:AHSO>2.0.CO;2. Процитовано 14 грудня 2006.
- Symonds, Steve (17 листопада 2003). Highs and Lows. Wild Weather (Australian Broadcasting Corporation). Архів оригіналу за 11 жовтня 2007. Процитовано 23 березня 2007.
- Atlantic Oceanographic and Meteorological Laboratory, Hurricane Research Division. Frequently Asked Questions: What is an extra-tropical cyclone?. National Oceanic and Atmospheric Administration. Архів оригіналу за 22 червня 2012. Процитовано 23 березня 2007.
- Atlantic Oceanographic and Meteorological Laboratory, Hurricane Research Division. Frequently Asked Questions: What is a "CDO"?. National Oceanic and Atmospheric Administration. Архів оригіналу за 22 червня 2012. Процитовано 23 березня 2007.
- American Meteorological Society. AMS Glossary: C. Glossary of Meteorology. Allen Press. Архів оригіналу за 22 червня 2012. Процитовано 14 грудня 2006.
- Atlantic Oceanographic and Hurricane Research Division. Frequently Asked Questions: What are "concentric eyewall cycles" (or "eyewall replacement cycles") and why do they cause a hurricane's maximum winds to weaken?. National Oceanic and Atmospheric Administration. Архів оригіналу за 22 червня 2012. Процитовано 14 грудня 2006.
- Q: What is the average size of a tropical cyclone?. Joint Typhoon Warning Center. 2009. Архів оригіналу за 22 червня 2012. Процитовано 7 травня 2009.
- National Weather Service (September 2006). Hurricanes... Unleashing Nature's Fury: A Preparedness Guide (PDF). National Oceanic and Atmospheric Administration. Архів оригіналу за 26 лютого 2008. Процитовано 2 грудня 2006.
- Atlantic Oceanographic and Meteorological Laboratory, Hurricane Research Division. Frequently Asked Questions: What's it like to go through a hurricane on the ground? What are the early warning signs of an approaching tropical cyclone?. National Oceanic and Atmospheric Administration. Архів оригіналу за 22 червня 2012. Процитовано 26 липня 2006.
- Merrill, Robert T (14 грудня 1983). A comparison of Large and Small Tropical cyclones. American Meteorological Society. Процитовано 6 травня 2009.[недоступне посилання з 01.04.2010]
- Global Guide to Tropical Cyclone Forecasting: chapter 2: Tropical Cyclone structure. Bureau of Meteorology. 7 травня 2009. Архів оригіналу за 22 червня 2012. Процитовано 6 травня 2009.
- K. S. Liu and Johnny C. L. Chan (December 1999). Size of Tropical Cyclones as Inferred from ERS-1 and ERS-2 Data. Monthly Weather Review 127 (12): 2992. doi:10.1175/1520-0493(1999)127<2992:SOTCAI>2.0.CO;2. Процитовано 24 лютого 2008.
- Anthropogenic Effects on Tropical Cyclone Activity. Massachusetts Institute of Technology. 8 лютого 2006. Архів оригіналу за 22 червня 2012. Процитовано 7 травня 2009.
- NOAA FAQ: How much energy does a hurricane release?. National Oceanic & Atmospheric Administration. August 2001. Архів оригіналу за 22 червня 2012. Процитовано 30 червня 2009.
- Atlantic Oceanographic and Meteorological Laboratory, Hurricane Research Division. Frequently Asked Questions: Doesn't the friction over land kill tropical cyclones?. National Oceanic & Atmospheric Administration. Архів оригіналу за 22 червня 2012. Процитовано 25 липня 2006.
- Coriolis force (physics). Encyclopaedia Britannica. 25 лютого 2008. Архів оригіналу за 22 червня 2012. Процитовано 7 травня 2009.
- Tropical cyclone: Tropical cyclone tracks. Encyclopædia Britannica. 25 лютого 2008. Архів оригіналу за 22 червня 2012. Процитовано 7 травня 2009.
- National Weather Service (19 жовтня 2005). Tropical Cyclone Introduction. JetStream — An Online School for Weather. National Oceanic & Atmospheric Administration. Архів оригіналу за 22 червня 2012. Процитовано 7 вересня 2010.
- How are tropical cyclones different to mid-latitude cyclones?. Frequently Asked Questions. Bureau of Meteorology. Архів оригіналу за 4 травня 2008. Процитовано 31 березня 2006.
- Dr. Frank Marks (27 січня 2003). Fifth International Workshop on Tropical Cyclones Topic 1 Tropical Cyclone Structure and Structure Change. Atlantic Oceanographic and Meteorological Laboratory. Архів оригіналу за 22 червня 2012. Процитовано 23 листопада 2009.
- Eric A. D'Asaro and Peter G. Black. (2006). J8.4 Turbulence in the Ocean Boundary Layer Below Hurricane Dennis (PDF). University of Washington. Архів оригіналу за 26 лютого 2008. Процитовано 22 лютого 2008.
- Hurricanes: Keeping an eye on weather's biggest bullies. University Corporation for Atmospheric Research. 31 березня 2006. Архів оригіналу за 22 червня 2012. Процитовано 7 травня 2009.
- Atlantic Oceanographic and Meteorological Laboratory, Hurricane Research Division. Frequently Asked Questions: When is hurricane season?. National Oceanic and Atmospheric Administration. Архів оригіналу за 22 червня 2012. Процитовано 25 липня 2006.
- Ross., Simon (1998). Natural Hazards. (вид. Illustrated). Nelson Thornes. с. 96. ISBN 0748739513, 9780748739516 Перевірте значення
|isbn=(довідка). Процитовано 7 травня 2009. - Atlantic Oceanographic and Meteorological Laboratory, Hurricane Research Division. Frequently Asked Questions: How do tropical cyclones form?. National Oceanic and Atmospheric Administration. Архів оригіналу за 22 червня 2012. Процитовано 26 липня 2006.
- Atlantic Oceanographic and Meteorological Laboratory, Hurricane Research Division. Frequently Asked Questions: Why do tropical cyclones require 27 °C ocean temperatures to form?. National Oceanic and Atmospheric Administration. Архів оригіналу за 22 червня 2012. Процитовано 25 липня 2006.
- Kazuyoshi Kikuchi, Bin Wang, and Hironori Fudeyasu (2009). Genesis of tropical cyclone Nargis revealed by multiple satellite observations. Geophysical Research Letters 36: L06811. doi:10.1029/2009GL037296.
- Fritz Korek (21 листопада 2000). Marine Meteorological Glossary. Marine Knowledge Centre. Архів оригіналу за 22 червня 2012. Процитовано 6 травня 2009.
- Formation of Tropical Cyclones. Philippine Atmospheric, Geophysical and Astronomical Services Administration. 2008. Архів оригіналу за 22 червня 2012. Процитовано 6 травня 2009.
- DeCaria, Alex (2005). Lesson 5 – Tropical Cyclones: Climatology.. ESCI 344 – Tropical Meteorology. Millersville University. Архів оригіналу за 7 травня 2008. Процитовано 22 лютого 2008.
- Lixion Avila, Richard Pasch, Lixion A. (March 1995). Atlantic tropical systems of 1993 (PDF). Monthly Weather Review 123 (3): 887–896. doi:10.1175/1520-0493(1995)123<0887:ATSO>2.0.CO;2. Процитовано 25 липня 2006.
- Atlantic Oceanographic and Meteorological Laboratory, Hurricane Research Division. Frequently Asked Questions: What is an easterly wave?. National Oceanic and Atmospheric Administration. Архів оригіналу за 22 червня 2012. Процитовано 25 липня 2006.
- Chris Landsea (June 1993). A Climatology of Intense (or Major) Atlantic Hurricanes (PDF). Monthly Weather Review 121 (6): 1703–1713. doi:10.1175/1520-0493(1993)121<1703:ACOIMA>2.0.CO;2. Процитовано 25 березня 2006.
- Neumann, Charles J. Worldwide Tropical Cyclone Tracks 1979-88. Global Guide to Tropical Cyclone Forecasting. Bureau of Meteorology. Архів оригіналу за 22 червня 2012. Процитовано 12 грудня 2006.
- Tropical Cyclones and Global Climate Change: A Post-IPCC Assessment. National Oceanic and Atmospheric Administration. 8 жовтня 2002. Архів оригіналу за 22 червня 2012. Процитовано 7 травня 2009.
- Monthly Global Tropical Cyclone Summary, December 2001. Gary Padgett. Australian Severe Weather Index. Архів оригіналу за 23 червня 2012. Процитовано 6 травня 2009.
- Annual Tropical Cyclone Report 2004. Joint Typhoon Warning Center. 2006. Процитовано 6 травня 2009.
- McAdie, Colin (10 травня 2007). Tropical Cyclone Climatology. National Hurricane Center. Архів оригіналу за 23 червня 2012. Процитовано 9 червня 2007.
- Tropical Cyclone Operational Plan for the Southeastern Indian Ocean and the South Pacific Oceans. World Meteorological Organization. 10 березня 2009. Архів оригіналу за 23 червня 2012. Процитовано 6 травня 2009.
- Atlantic Oceanographic and Meteorological Laboratory, Hurricane Research Division. Frequently Asked Questions: What are the average, most, and least tropical cyclones occurring in each basin?. National Oceanic and Atmospheric Administration. Архів оригіналу за 23 червня 2012. Процитовано 30 листопада 2006.
- Atlantic Oceanographic and Meteorological Laboratory, Hurricane Research Division. Frequently Asked Questions: What determines the movement of tropical cyclones?. National Oceanic and Atmospheric Administration. Архів оригіналу за 23 червня 2012. Процитовано 25 липня 2006.
- Baum, Steven K (20 січня 1997). The Glossary: Cn-Cz.. Glossary of Oceanography and the Related Geosciences with References. Texas A&M University. Архів оригіналу за 23 червня 2012. Процитовано 29 листопада 2006.
- Section 2: Tropical Cyclone Motion Terminology. United States Naval Research Laboratory. 10 квітня 2007. Архів оригіналу за 23 червня 2012. Процитовано 7 травня 2009.
- Powell, Jeff, et al. (May 2007). Hurricane Ioke: 20–27 August 2006. 2006 Tropical Cyclones Central North Pacific. Central Pacific Hurricane Center. Архів оригіналу за 23 червня 2012. Процитовано 9 червня 2007.
- National Hurricane Center (2005). Glossary of NHC/TPC Terms. National Oceanic and Atmospheric Administration. Архів оригіналу за 23 червня 2012. Процитовано 29 листопада 2006.
- Fujiwhara effect describes a stormy waltz. USA Today. 9 листопада 2007. Процитовано 21 лютого 2008.
- Subject : C2) Doesn't the friction over land kill tropical cyclones?. National Hurricane Center. National Oceanic and Atmospheric Administration. 25 лютого 2008. Архів оригіналу за 23 червня 2012. Процитовано 7 травня 2009.
- Tropical Cyclones Affecting Inland Pilbara towns. Bureau of Meteorology. Архів оригіналу за 23 червня 2012. Процитовано 7 травня 2009.
- Yuh-Lang Lin, S. Chiao, J. A. Thurman, D. B. Ensley, and J. J. Charney. Some Common Ingredients for heavy Orographic Rainfall and their Potential Application for Prediction. Retrieved on 2007-04-26.
- National Hurricane Center (1998). Hurricane Mitch Tropical Cyclone Report. Архів NHC Mitch Report оригіналу за 7 травня 2009. Процитовано 20 квітня 2006.
- Joint Typhoon Warning Center. 1.13 Local Effects on the Observed Large-scale Circulations. Retrieved on 2008-02-25.
- Edwards, Jonathan. Tropical Cyclone Formation. HurricaneZone.net. Архів оригіналу за 21 лютого 2007. Процитовано 30 листопада 2006.
- Chih-Pei Chang (2004). East Asian Monsoon. World Scientific. ISBN 9812387692. OCLC 61353183.
- United States Naval Research Laboratory (23 вересня 1999). Tropical Cyclone Intensity Terminology. Tropical Cyclone Forecasters' Reference Guide. Архів оригіналу за 23 червня 2012. Процитовано 30 листопада 2006.
- Rappaport, Edward N. (2 листопада 2000). Preliminary Report: Hurricane Iris: 22–4 August September 1995. National Hurricane Center. Архів оригіналу за 23 червня 2012. Процитовано 29 листопада 2006.
- African Dust Linked To Hurricane Strength. All Things Considered. National Public Radio. 5 вересня 2008. Архів оригіналу за 23 червня 2012. Процитовано 7 травня 2009.
- Shultz, James M., Jill Russell and Zelde Espinel (July 2005). Epidemiology of Tropical Cyclones: The Dynamics of Disaster, Disease, and Development. Epidemiologic Reviews 27 (1): 21–25. PMID 15958424. doi:10.1093/epirev/mxi011. Процитовано 14 грудня 2006.
- Staff Writer (30 серпня 2005). Hurricane Katrina Situation Report #11 (PDF). Office of Electricity Delivery and Energy Reliability (OE) United States Department of Energy. Архів оригіналу за 8 листопада 2006. Процитовано 24 лютого 2007.
- David Roth and Hugh Cobb (2001). Eighteenth Century Virginia Hurricanes. NOAA. Архів оригіналу за 24 червня 2012. Процитовано 24 лютого 2007.
- James M. Shultz, Jill Russell and Zelde Espinel (2005). Epidemiology of Tropical Cyclones: The Dynamics of Disaster, Disease, and Development. Oxford Journal. Архів оригіналу за 24 червня 2012. Процитовано 24 лютого 2007.
- Atlantic Oceanographic and Meteorological Laboratory, Hurricane Research Division. Frequently Asked Questions: Are TC tornadoes weaker than midlatitude tornadoes?. National Oceanic and Atmospheric Administration. Архів оригіналу за 24 червня 2012. Процитовано 25 липня 2006.
- National Oceanic and Atmospheric Administration. 2005 Tropical Eastern North Pacific Hurricane Outlook. Retrieved on 2006-05-02.
- Christopherson, Robert W. (1992). Geosystems: An Introduction to Physical Geography. New York: Macmillan Publishing Company. с. 222–224. ISBN 0-02-322443-6.
- Atlantic Oceanographic and Meteorological Laboratory, Hurricane Research Division. Frequently Asked Questions: What regions around the globe have tropical cyclones and who is responsible for forecasting there?. NOAA. Архів оригіналу за 24 червня 2012. Процитовано 25 липня 2006.
- Chris Landsea. Climate Variability table — Tropical Cyclones. Atlantic Oceanographic and Meteorological Laboratory, National Oceanic and Atmospheric Administration. Архів оригіналу за 24 червня 2012. Процитовано 19 жовтня 2006.
- Marcelino, Emerson Vieira; Isabela Pena Viana de Oliveira Marcelino; Frederico de Moraes Rudorff (2004). Cyclone Catarina: Damage and Vulnerability Assessment (PDF). Santa Catarina Federal University. Архів оригіналу за 24 червня 2012. Процитовано 24 грудня 2006.
- Regional Specialized Meteorological Center. Tropical Cyclone Program (TCP). World Meteorological Organization. 25 квітня 2006. Процитовано 5 листопада 2006.
- Joint Typhoon Warning Center Mission Statement. Joint Typhoon Warning Center. 9 листопада 2007. Архів оригіналу за 9 квітня 2008. Процитовано 7 травня 2009.
- Mission Vision. Philippine Atmospheric, Geophysical and Astronomical Services Administration. 24 лютого 2008. Архів оригіналу за 24 червня 2012. Процитовано 7 травня 2009.
- Canadian Hurricane Center. Canadian Hurricane Center. 24 лютого 2008. Архів оригіналу за 24 червня 2012. Процитовано 7 травня 2009.
- Florida Coastal Monitoring Program. Project Overview. University of Florida. Архів оригіналу за 3 травня 2006. Процитовано 30 березня 2006.
- Observations. Central Pacific Hurricane Center. 9 грудня 2006. Архів оригіналу за 24 червня 2012. Процитовано 7 травня 2009.
- 403rd Wing. The Hurricane Hunters. 53rd Weather Reconnaissance Squadron. Архів оригіналу за 24 червня 2012. Процитовано 30 березня 2006.
- Lee, Christopher. Drone, Sensors May Open Path Into Eye of Storm. The Washington Post. Процитовано 22 лютого 2008.
- Influences on Tropical Cyclone Motion. United States Navy. Архів оригіналу за 24 червня 2012. Процитовано 10 квітня 2007.
- National Hurricane Center (22 травня 2006). Annual average model track errors for Atlantic basin tropical cyclones for the period 1994-2005, for a homogeneous selection of "early" models. National Hurricane Center Forecast Verification. National Oceanic and Atmospheric Administration. Архів оригіналу за 24 червня 2012. Процитовано 30 листопада 2006.
- National Hurricane Center (22 травня 2006). Annual average official track errors for Atlantic basin tropical cyclones for the period 1989-2005, with least-squares trend lines superimposed. National Hurricane Center Forecast Verification. National Oceanic and Atmospheric Administration. Архів оригіналу за 24 червня 2012. Процитовано 30 листопада 2006.
- Atlantic Oceanographic and Meteorological Laboratory, Hurricane Research Division. Frequently Asked Questions: What are the upcoming tropical cyclone names?. National Oceanic and Atmospheric Administration. Архів оригіналу за 24 червня 2012. Процитовано 11 грудня 2006.
- Bouchard, R. H. (April 1990). A Climatology of Very Intense Typhoons: Or Where Have All the Super Typhoons Gone? (PPT). Архів оригіналу за 16 березня 2007. Процитовано 5 грудня 2006.
- Atlantic Oceanographic and Meteorological Laboratory, Hurricane Research Division. Frequently Asked Questions: Which is the most intense tropical cyclone on record?. NOAA. Архів оригіналу за 24 червня 2012. Процитовано 25 липня 2006.
- «Typhoon». The American Heritage Dictionary of the English Language (4th ed. вид.). Dictionary.com. 2004. http://dictionary.reference.com/browse/typhoon. Процитовано 2006-12-14.
- Typhoon Werriam-Webster Dictionary
- Atlantic Oceanographic and Meteorological Laboratory, Hurricane Research Division. Frequently Asked Questions: What is the origin of the word "hurricane"?. National Oceanic and Atmospheric Administration. Архів оригіналу за 24 червня 2012. Процитовано 25 липня 2006.
- National Hurricane Center. Subject: A1) What is a hurricane, typhoon, or tropical cyclone? Retrieved on 2008-02-25.
- Bureau of Meteorology. Global Guide to Tropical Cyclone Forecasting Retrieved on 2008-02-25.
- Worldwide Tropical Cyclone Names.. National Hurricane Center. National Oceanic and Atmospheric Administration. 2009. Архів оригіналу за 24 червня 2012. Процитовано 7 травня 2009.
- Pielke, Roger A., Jr.; et al. (2008). Normalized Hurricane Damage in the United States: 1900–2005 (PDF). Natural Hazards Review 9 (1): 29–42. doi:10.1061/(ASCE)1527-6988(2008)9:1(29).
- Chris Landsea, et al. (28 липня 2006). Can We Detect Trends in Extreme Tropical Cyclones? (PDF). Science 313 (5786): 452–454. PMID 16873634. doi:10.1126/science.1128448. Процитовано 9 червня 2007.
- Kerry Emanuel (January 2006). Anthropogenic Effects on Tropical Cyclone Activity. Архів оригіналу за 24 червня 2012. Процитовано 30 березня 2006.
- Webster, P. J., G. J. Holland, J. A. Curry and H.-R. Chang (16 вересня 2005). Changes in Tropical Cyclone Number, Duration, and Intensity in a Warming Environment (PDF). Science 309 (5742): 1844–1846. PMID 16166514. doi:10.1126/science.1116448. Процитовано 20 березня 2006.
- Hurricanes are getting fiercer Nature, Retrieved on 4 September 2008.
- Summary Statement on Tropical Cyclones and Climate Change (PDF). World Meteorological Organization. 4 грудня 2006. Архів оригіналу за 25 березня 2009. Процитовано 7 травня 2009.
- Pielke, R. A. Jr (2005). Meteorology: Are there trends in hurricane destruction?. Nature 438 (7071): E11. PMID 16371954. doi:10.1038/nature04426.
- Pielke, Roger A., Jr.; et al. (2008). Normalized Hurricane Damage in the United States: 1900–2005 (PDF). Natural Hazards Review 9 (1): 29–42. doi:10.1061/(ASCE)1527-6988(2008)9:1(29). Архів оригіналу за 25 березня 2009. Процитовано 7 травня 2009.
- Risk Management Solutions (March 2006). U.S. and Caribbean Hurricane Activity Rates. (PDF). Архів оригіналу за 24 червня 2012. Процитовано 30 листопада 2006.
- Center for Climate Systems Research. Hurricanes, Sea Level Rise, and New York City. Columbia University. Архів оригіналу за 2 січня 2007. Процитовано 29 листопада 2006.
- Neumann, Charles J. 1.3: A Global Climatology. Global Guide to Tropical Cyclone Forecasting. Bureau of Meteorology. Архів оригіналу за 24 червня 2012. Процитовано 30 листопада 2006.
- Nyberg, J.; Winter, A.; Malmgren, B. A. (2005). Reconstruction of Major Hurricane Activity. Eos Trans. AGU 86 (52, Fall Meet. Suppl.): Abstract PP21C–1597. Архів оригіналу за 21 лютого 2009. Процитовано 7 травня 2009.
- Liu, Kam-biu (1999). Millennial-scale variability in catastrophic hurricane landfalls along the Gulf of Mexico coast 23rd Conference on Hurricanes and Tropical Meteorology. Dallas, Texas, United States of America: American Meteorological Society. с. 374–377.
- Liu, Kam-biu; Fearn, Miriam L. (2000). Reconstruction of Prehistoric Landfall Frequencies of Catastrophic Hurricanes in Northwestern Florida from Lake Sediment Records. Quaternary Research 54 (2): 238–245. doi:10.1006/qres.2000.2166.
- Elsner, James B.; Liu, Kam-biu; Kocher, Bethany (2000). Spatial Variations in Major U.S. Hurricane Activity: Statistics and a Physical Mechanism. Journal of Climate 13 (13): 2293–2305. doi:10.1175/1520-0442(2000)013<2293:SVIMUS>2.0.CO;2.
- Higuera-Gundy, Antonia; et al. (1999). A 10,300 14C yr Record of Climate and Vegetation Change from Haiti. Quaternary Research 52 (2): 159–170. doi:10.1006/qres.1999.2062.
- Geophysical Fluid Dynamics Laboratory. Global Warming and Hurricanes. National Oceanic and Atmospheric Administration. Архів оригіналу за 24 червня 2012. Процитовано 29 листопада 2006.
- Richard Alley, et al. (2007). Contribution of Working Group I to the Fourth Assessment Report of the Intergovernmental Panel on Climate Change. United Nations. Архів оригіналу за 24 червня 2012. Процитовано 23 лютого 2007.
- Emanuel, Kerry (2005). Increasing destructiveness of tropical cyclones over the past 30 years (PDF). Nature 436 (7051): 686–688. PMID 16056221. doi:10.1038/nature03906. Процитовано 20 березня 2006.
- [недоступне посилання з 01.04.2010]
- Berger, Eric (12 квітня 2008). Hurricane expert reconsiders global warming's impact. Houston Chronicle. Процитовано 31 липня 2010.
- Knutson, Thomas R. and Robert E. Tuleya (2004). Impact of CO2-Induced Warming on Simulated Hurricane Intensity and Precipitation: Sensitivity to the Choice of Climate Model and Convective Parameterization. Journal of Climate 17 (18): 3477–3494. doi:10.1175/1520-0442(2004)017<3477:IOCWOS>2.0.CO;2.
- Atlantic Oceanographic and Meteorological Laboratory, Hurricane Research Division. Frequently Asked Questions: How do tropical cyclones form?. NOAA. Архів оригіналу за 22 червня 2012. Процитовано 26 липня 2006.
- Atlantic Oceanographic and Meteorological Laboratory, Hurricane Research Division. Frequently Asked Questions: What may happen with tropical cyclone activity due to global warming?. NOAA. Архів оригіналу за 24 червня 2012. Процитовано 8 січня 2011.
- American Meteorological Society; Droegemeier, Kelvin K.; Levit, Jason J.; Sinclair, Carl; Jahn, David E.; Hill, Scott D.; Mueller, Lora; Qualley, Grant та ін. (1 лютого 2007). Climate Change: An Information Statement of the American Meteorological Society (PDF). Bulletin of the American Meteorological Society 88: 5. doi:10.1175/BAMS-88-7-Kelleher. Архів оригіналу за 7 січня 2010. Процитовано 3 червня 2007.
- World Meteorological Organization (11 грудня 2006). Statement on Tropical Cyclones and Climate Change (PDF). с. 6. Архів оригіналу за 24 червня 2012. Процитовано 2 червня 2007.
- Stefan Rahmstorf, Michael E. Mann, Rasmus Benestad, Gavin Schmidt and William Connolley (2 September 2005). Hurricanes and Global Warming — Is There a Connection?. RealClimate. Процитовано 20 березня 2006.
- Joint Typhoon Warning Center (2006). 3.3 JTWC Forecasting Philosophies. United States Navy. Архів оригіналу за 22 червня 2012. Процитовано 11 лютого 2007.
- M. C. Wu, W. L. Chang, and W. M. Leung (2003). Impacts of El Nino-Southern Oscillation Events on Tropical Cyclone Landfalling Activity in the Western North Pacific. Journal of Climate 17 (6): 1419–1428. doi:10.1175/1520-0442(2004)017<1419:IOENOE>2.0.CO;2. Процитовано 11 лютого 2007.
- Pacific ENSO Applications Climate Center. Pacific ENSO Update: 4th Quarter, 2006. Vol. 12 No. 4. Архів оригіналу за 24 червня 2012. Процитовано 19 березня 2008.
- Edward N. Rappaport (September 1999). Atlantic Hurricane Season of 1997. Monthly Weather Review 127: 2012. Процитовано 18 липня 2009.
- Waymer, Jim (1 June 2010). Researchers:Fewer sunspots, more storms. Melbourne, Florida: Florida Today. с. 1A.
- Chris Landsea (1993). Which tropical cyclones have caused the most deaths and most damage?. Hurricane Research Division. Архів оригіналу за 24 червня 2012. Процитовано 23 лютого 2007.
- Lawson (2 листопада 1999). South Asia: A history of destruction. British Broadcasting Corporation. Процитовано 23 лютого 2007.
- Frank, Neil L. and S. A. Husain (June 1971). The Deadliest Tropical Cyclone in History (PDF). Bulletin of the American Meteorological Society 52 (6): 438–445. doi:10.1175/1520-0477(1971)052<0438:TDTCIH>2.0.CO;2. Архів оригіналу за 24 червня 2007. Процитовано 14 грудня 2006.
- Linda J. Anderson-Berry. Fifth International Workshop on Tropycal Cyclones: Topic 5.1: Societal Impacts of Tropical Cyclones. Retrieved on 2008-02-26.
- National Hurricane Center (22 квітня 1997). The Deadliest Atlantic Tropical Cyclones, 1492-1996. National Oceanic and Atmospheric Administration. Архів оригіналу за 24 червня 2012. Процитовано 31 березня 2006.
- National Hurricane Center. Galveston Hurricane 1900. Retrieved on 2008-02-24.
- Joint Typhoon Warning Center. Typhoon Thelma (27W) (PDF). 1991 Annual Tropical Cyclone Report. Архів оригіналу за 7 червня 2011. Процитовано 31 березня 2006.
- Gunther, E. B., R.L. Cross, and R.A. Wagoner (May 1983). Eastern North Pacific Tropical Cyclones of 1982 (PDF). Monthly Weather Review 111 (5): 1080. doi:10.1175/1520-0493(1983)111<1080:ENPTCO>2.0.CO;2. Процитовано 31 березня 2006.
- Earth Policy Institute (2006). Hurricane Damages Sour to New Levels. United States Department of Commerce. Архів оригіналу за 13 грудня 2006. Процитовано 23 лютого 2007.
- Knabb, Richard D., Jamie R. Rhome and Daniel P. Brown (20 грудня 2005). Tropical Cyclone Report: Hurricane Katrina: 23–30 August 2005 (PDF). National Hurricane Center. Архів оригіналу за 25 серпня 2011. Процитовано 30 травня 2006.
- George M. Dunnavan & John W. Dierks (1980). An Analysis of Super Typhoon Tip (October 1979) (PDF). Joint Typhoon Warning Center. Архів оригіналу за 24 червня 2012. Процитовано 24 січня 2007.
- Ferrell, Jesse (26 жовтня 1998). Hurricane Mitch. Weathermatrix.net. Архів оригіналу за 28 вересня 2007. Процитовано 30 березня 2006.
- NHC Hurricane Research Division (17 лютого 2006). Atlantic hurricane best track ("HURDAT"). NOAA. Архів оригіналу за 24 червня 2012. Процитовано 22 лютого 2007.
- Houston, Sam, Greg Forbes and Arthur Chiu (17 серпня 1998). Super Typhoon Paka's (1997) Surface Winds Over Guam. National Weather Service. Архів оригіналу за 24 червня 2012. Процитовано 30 березня 2006.
- Neal Dorst (29 травня 2009). Subject: E5) Which are the largest and smallest tropical cyclones on record?. National Hurricane Center. Архів оригіналу за 24 червня 2012. Процитовано 29 травня 2009.
- Neal Dorst (2006). Which tropical cyclone lasted the longest?. Hurricane Research Division. Архів оригіналу за 24 червня 2012. Процитовано 23 лютого 2007.
- Neal Dorst (2006). What is the farthest a tropical cyclone has traveled ?. Hurricane Research Division. Архів оригіналу за 24 червня 2012. Процитовано 23 лютого 2007.
Ресурси Інтернету
- Регіональні спеціалізовані метеорологічні центри
- US National Hurricane Center — Північ Атлантичного, схід Тихого океанів
- Central Pacific Hurricane Center — Центр Тихого океану
- Japan Meteorological Agency — Північний захід Тихого океану
- India Meteorological Department — Північ індійського океану
- Météo-France — La Reunion — Південний схід індійського океану
- Fiji Meteorological Service — південь Тихого океану
- Центри попередження про тропічні циклони
- Indonesian Meteorological Department — Південний схід Індійського океану
- Australian Bureau of Meteorology (TCWC's Perth, Darwin & Brisbane) — Південний схід Індійського, південний захід Тихого океанів
- Meteorological Service of New Zealand Limited — Південь Тихого океану
- Інші ресурси
- Jonathan Vigh's Tropical Cyclone Page — колекція посилань на пов'язані сайти
- Hurricane Glossary of Terms — глосарій
- Hurricane Research Division NOAA — сайт, що містить детальну інформацію про тропічні циклони
- Fictional books, plays, poems, and movies involving tropical cyclones — інформація про тропічні циклони в культурі
- Hurricanes, Typhoons and Tropical Cyclones ВМО — сайт, що містить детальну інформацію про тропічні циклони
- (англ.) Hurricanes — відстеження тропічних циклонів на карті Світового океану в реальному часі.
- Циклон тропічний // Універсальний словник-енциклопедія. — 4-те вид. — К. : Тека, 2006.
|
|
Ця стаття належить до добрих статей української Вікіпедії. |

