Хайфа (аеропорт)
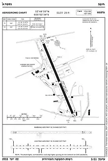
Міжнародний аеропорт Хайфа (івр. נְמַל הַתְּעוּפָה חֵיפָה, Намаль ха-теуфа Хайфа; араб. مطار حيفا, ІКАО:LLHA, ІАТА:HFA) також відомий як аеропорт імені Урі Міхаелі — невеликий міжнародний аеропорт, що розташований в Хайфі, Ізраїль. Він розташований на північному сході міста, недалеко від порту Кішон та Корабелень Ізраїлю. Використовується аеропорт головним чином з цивільною метою, і лише трохи військовими. Більшість пасажирських перевезень зводиться до місцевих: в Тель-Авів (Аеропорт ім. Бен-Гуріона), в Ейлат. Міжнародні рейси переважно ближньомагістральні: на Кіпр, Туреччину і в Йорданію. Аеропорт названий на честь Урі Міхаелі, одного з піонерів ізраїльської авіації. В аеропорту всього одна коротка злітно-посадкова смуга довжиною 1318 метрів з асфальтовим покриттям.
| Міжнародний аеропорт Хайфа | |||||||||||
|---|---|---|---|---|---|---|---|---|---|---|---|
| נמל התעופה חיפה مطار حيفا | |||||||||||
![]() | |||||||||||
| ІАТА: HFA • ICAO: LLHA | |||||||||||
| Загальні дані | |||||||||||
| 32°48′34″ пн. ш. 35°02′35″ сх. д. | |||||||||||
| Тип | цивільний/Військовий | ||||||||||
| Оператор | Управління аеропортів Ізраїлю | ||||||||||
| Обслуговує |
Хайфа, Ізраїль | ||||||||||
| Розташування | |||||||||||
| Висота над р. м. | 9 м / 28 фт | ||||||||||
| Вебсайт | iaa.gov.il/en/airports/haifa/ | ||||||||||
| Злітно-посадкові смуги | |||||||||||
| |||||||||||
| Ідентифікатори і посилання | |||||||||||
| GeoNames | 6299659 | ||||||||||
![]() HFA | |||||||||||
![]() | |||||||||||
| | |||||||||||
Історія

Аеродром був побудований урядом Британського Мандата в 1934 році і був першим міжнародним аеропортом на території сучасного Ізраїля (тоді держави ще не існувало). Він використовувався ВПС Великої Британії спільно з британсько-іракською нафтовою компанією APS.
У 1936 році були відкриті прямі регулярні рейси в міста Нікосія (Кіпр) і Бейрут (Ліван). У 1938 році почалися регулярні рейси до Європи (зокрема в Італію). У той же рік третина авіарейсів в Ізраїль здійснювали посадку на цьому аеродромі.
У 1940 році, через Другу світову війну були припинені всі цивільні рейси з Хайфи і аеродром був перетворений на авіабазу RAF Haifa (Королівські ВПС Хайфа) і використовувався ВПС Великої Британії. RAF Haifa функціонувала з 1942 по 1948 роки.
У 1948 році, після здобуття незалежності Держави Ізраїль, військова авіабаза була закрита, але невдовзі з аеродрому розпочалися цивільні перевезення.
Після 1948 року
Аеропорт знову був відкритий для пасажирських перевезень в 1948 році, коли туди почала виконувати рейси авіакомпанія Cyprus Airways. За десять років по тому відкрилися рейси авіакомпанії Arkia Israel Airlines. Незважаючи на це, аеропорт отримав статус міжнародного аж у 1994 році. Тоді планувалося, що він буде обслуговувати рейси в пункти призначення по всій Європі. Менш ніж через рік, аеропорт був виставлений на продаж. На той час велику зацікавленість до нього проявила французька будівельна група Bouygues, а також British Aerospace.
У 1996 році з початком польотів авіакомпанії Israir, аеропорт показав зростання. Воно було додатково збільшено в 1998 році коли авіакомпанія Royal Wings відкрила рейси до Йорданії, а авіакомпанія Scorpio розпочала польоти до Єгипту. У 1998 році був відкритий новий термінал, щоб забезпечити всі послуги, необхідні в сучасному міжнародному аеропорту. У минулому існувало три злітно-посадкові смуги, з яких нині існує дві і лише одна використовується за призначенням.
У 2001 році, був перезапущений процес обговорення розширення аеропорту, коли тодішній міністр фінансів Сільван Шалом запропонував виділити 800 мільйонів шекелів, щоб модернізувати аеропорт за сучасними міжнародними стандартами.
У 2007 році вперше з 2002 року відбулося зростання числа пасажирів і руху повітряних суден зі збільшенням на 25% числа пасажирів і збільшенням на 7% руху повітряних суден в порівнянні з попереднім роком. Загалом, між піковою точкою його роботи в 1999 році і 2007 роком кількість пасажирів зменшилася на 50%. Кількість операцій знизилася з 2002 по 2007 рік на 34%.
У 2014 році був відкритий новий вхід в термінал з північного боку. У 2016 році завершені роботи з модернізації східного перону для легкомоторних літаків. У лютому 2017 року міністр транспорту Ісраель Кац прийняв рішення дозволити відкриття магазинів безмитної торгівлі Duty Free в аеропорту з метою підвищити його привабливість для пасажирів.
21-я авіабаза - Технологічний коледж ВПС
Крім аеропорту на авіабазі розміщена також Школа технічних професій ВПС (івр. בית הספר למקצועות הטכניים, бейт ха-Сефер ле-мікцоот техніім ; скорочено ביסל"ט біслат або הטכני ха-техні) і Технологічний коледж ВПС (івр. המכללה הטכנולוגית של חיל האוויר).
Статистика
1999-2004
| Рік | Кількість пасажирів |
|---|---|
| 1999 | 130 571 |
| 2000 | 137 858 |
| 2001 | 120 301 |
| 2002 | 127 200 |
| 2003 | 93 385 |
| 2004 | 70 381 |
2005-2012
Дані з офіційного сайту аеропорту(англ.)(англ.).
| Рік | Внутрішні рейси | Міжнародні рейси | ||
|---|---|---|---|---|
| Пасажири | Операції | Пасажири | Операції | |
| 2005 | 60 804 | 12 852 | 530 | 230 |
| 2006 | 51 989 | 12 471 | 399 | 143 |
| 2007 | 64 992 | 13 337 | 559 | 194 |
| 2008 | 64 152 | 13 403 | 657 | 234 |
| 2009 | 48 549 | 8 233 | 2128 | 481 |
| 2010 | 79 492 | 12 970 | 3659 | 632 |
| 2011 | 67 933 | 11 032 | 6311 | 1035 |
| 2012 | 66 750 | 10 090 | 11 283 | 1947 |
Авіалінії і напрямки
| Авіакомпанія | Пункт призначення |
|---|---|
| Ейлат, Ларнака[1] Сезонні: Родос [2] Сезонні чартерні: Пафос |
Посилання
Вікісховище має мультимедійні дані за темою: Хайфа (аеропорт)
Примітки
- Liu, Jim (10 січня 2020). Israir resumes Haifa – Larnaca service in late-Dec 2019. Routesonline. Процитовано 13 січня 2020.
- Liu, Jim (3 лютого 2020). Israir adds Haifa – Rhodes service from June 2020. Routesonline. Процитовано 3 лютого 2020.


